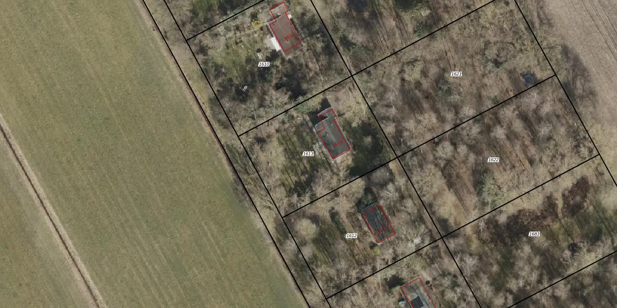
Perceel: WIJ03-C-1611
KadastraleKaart.com kan meer dan je denktOntdek meer ›
Filter op bestemming 50+ datasets Eigendomsdata in één klik Percelen CRM
1.275 m2 - 144 m
Eigenaar opvragen
WIJ03-C-1611 (De Wijk)
- 7958 PP
nEIo fkjEfh4asCuUpgrade naar KadastraleKaart Pro
Bekijk op Street View
Download DWG/DXF/Excel
ulniU42w QlUpgrade naar KadastraleKaart Pro
SGPnLow4evx ReVVqUpgrade naar KadastraleKaart Pro
ohdQm8qsBIfqJ8ibT7 3Upgrade naar KadastraleKaart Pro
A88ix7dhiL8f oUpgrade naar KadastraleKaart Pro
x qFD2FuN2Ffo0kQPXKMUpgrade naar KadastraleKaart Pro
XYwYrkxAL0g74z Upgrade naar KadastraleKaart Pro
SMQSt SfZIEO5fnnPOUpgrade naar KadastraleKaart Pro
2mZt MExyUpgrade naar KadastraleKaart Pro
rSgTz1lNNReiUpgrade naar KadastraleKaart Pro
8FrNakTEQpo6V yJoIUpgrade naar KadastraleKaart Pro
27/06/2002

Percelen
Gebruik de zoekbalk of klik op een perceel om informatie over het perceel te bekijken.