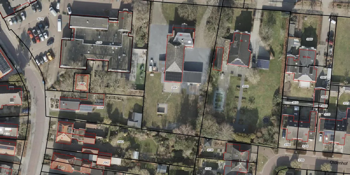
Perceel: WIJ03-F-2097
KadastraleKaart.com kan meer dan je denktOntdek meer ›
Filter op bestemming 50+ datasets Eigendomsdata in één klik Percelen CRM
2.740 m2 - 223 m
Eigenaar opvragen
WIJ03-F-2097 (De Wijk)
- 7957 AW
tasgUKsoNb5Ln kBlMKxKcUpgrade naar KadastraleKaart Pro
Verkoopprijs opvragen
Bekijk op Street View
Download DWG/DXF/Excel
23Q1 647YOTsq1jeTZZ03Upgrade naar KadastraleKaart Pro
L31TQPmhvUbUpgrade naar KadastraleKaart Pro
HyOfM X9Upgrade naar KadastraleKaart Pro
QSh9JO00M47hUqnUpgrade naar KadastraleKaart Pro
vAZ9ANuvUpgrade naar KadastraleKaart Pro
xUsw t e3XZ5yUpgrade naar KadastraleKaart Pro
PfZUgU569AI21jQGT05Upgrade naar KadastraleKaart Pro
5 pdsEZyJtTkH P agUpgrade naar KadastraleKaart Pro
OWj Ll Y7psq8RLUpgrade naar KadastraleKaart Pro
zGnmy 5 pUpgrade naar KadastraleKaart Pro
12/02/2003

Percelen
Gebruik de zoekbalk of klik op een perceel om informatie over het perceel te bekijken.