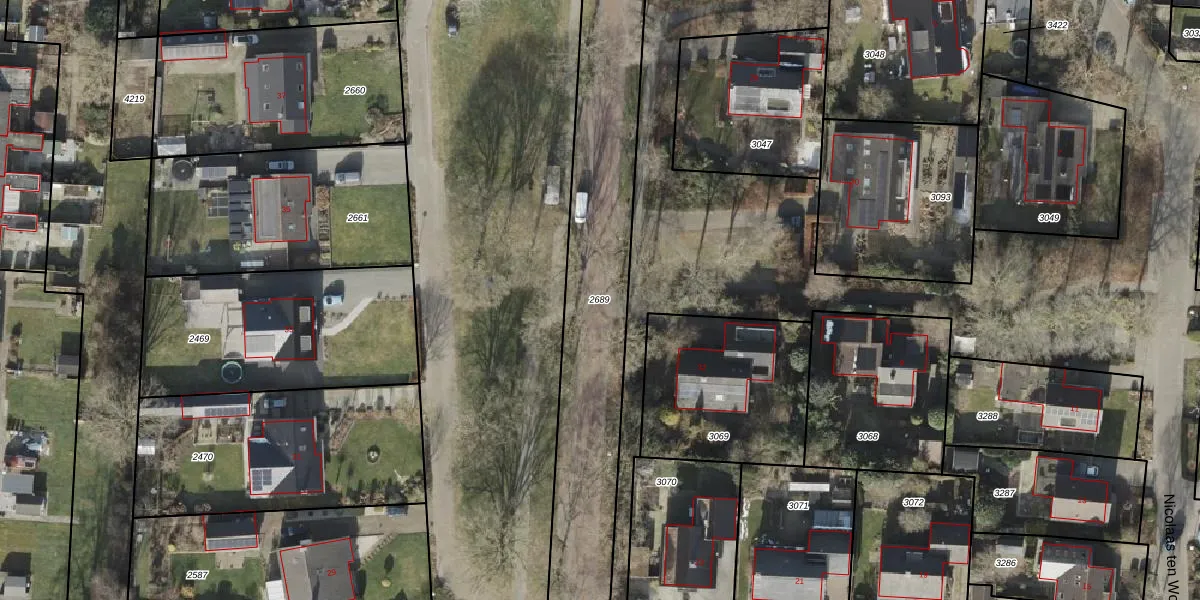
Perceel: WIJ03-F-2689
KadastraleKaart.com kan meer dan je denktOntdek meer ›
Filter op bestemming 50+ datasets Eigendomsdata in één klik Percelen CRM
Geen adressen bij dit perceel
5.262 m2 - 1.034 m
Eigenaar opvragen
WIJ03-F-2689 (De Wijk)
- Geen postcode aanwezig
f1LNe7z3xXbiH7yfDCVgLUPUS GiStvUpgrade naar KadastraleKaart Pro
Bekijk op Street View
Download DWG/DXF/Excel
B1vIJvpKXFUpgrade naar KadastraleKaart Pro
ANLLY UJUpgrade naar KadastraleKaart Pro
cqiQBVFNBQQQWyLOn8 Upgrade naar KadastraleKaart Pro
so0rzPFO8AZjr4eVyUpgrade naar KadastraleKaart Pro
sFm1XJjnWbKUpgrade naar KadastraleKaart Pro
SqDoibz 8C00vMsdJeUpgrade naar KadastraleKaart Pro
slRqgU7An7nqbUpgrade naar KadastraleKaart Pro
u9H0N4j5G6c 8g80isz gNUpgrade naar KadastraleKaart Pro
rHMRtc FnqFOVLiVRZ74Upgrade naar KadastraleKaart Pro
74yoN8klUpgrade naar KadastraleKaart Pro
15/02/2011

Percelen
Gebruik de zoekbalk of klik op een perceel om informatie over het perceel te bekijken.