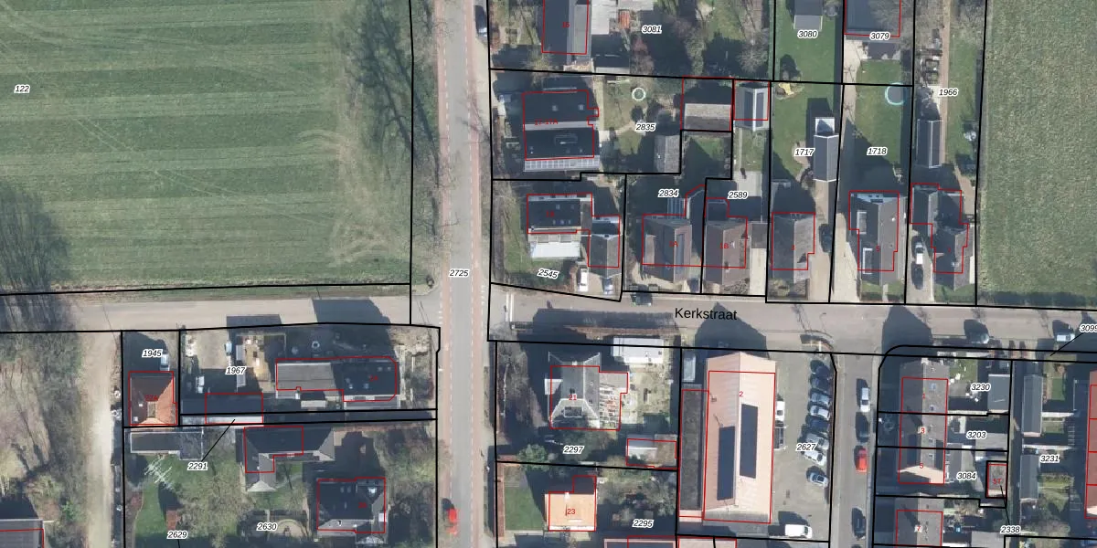
Perceel: WIL00-A-2545
KadastraleKaart.com kan meer dan je denktOntdek meer ›
Filter op bestemming 50+ datasets Eigendomsdata in één klik Percelen CRM
490 m2 - 92 m
Eigenaar opvragen
WIL00-A-2545 (Wilp)
- 7384 AB
L0Di9dzRfdV8J doXG5 MnUpgrade naar KadastraleKaart Pro
Verkoopprijs opvragen
Bekijk op Street View
Download DWG/DXF/Excel
xljeZCrz81QYvoCkf4jqB1QUpgrade naar KadastraleKaart Pro
uK5DDCsiXWKzUpgrade naar KadastraleKaart Pro
VvqMGg97OoblMCkRUKDK3wuUpgrade naar KadastraleKaart Pro
nn3LMKcN1NPdMdm8VtUpgrade naar KadastraleKaart Pro
SkccXvY nQtyfvUpgrade naar KadastraleKaart Pro
gPM9Rvelk ZUpgrade naar KadastraleKaart Pro
zL 80 IHUpgrade naar KadastraleKaart Pro
f j GaKtAvP6ChxeWLUpgrade naar KadastraleKaart Pro
KpZiZ5Yjne Upgrade naar KadastraleKaart Pro
90 yxzb5mnts6iIXauQFmUpgrade naar KadastraleKaart Pro
05/03/2009

Percelen
Gebruik de zoekbalk of klik op een perceel om informatie over het perceel te bekijken.