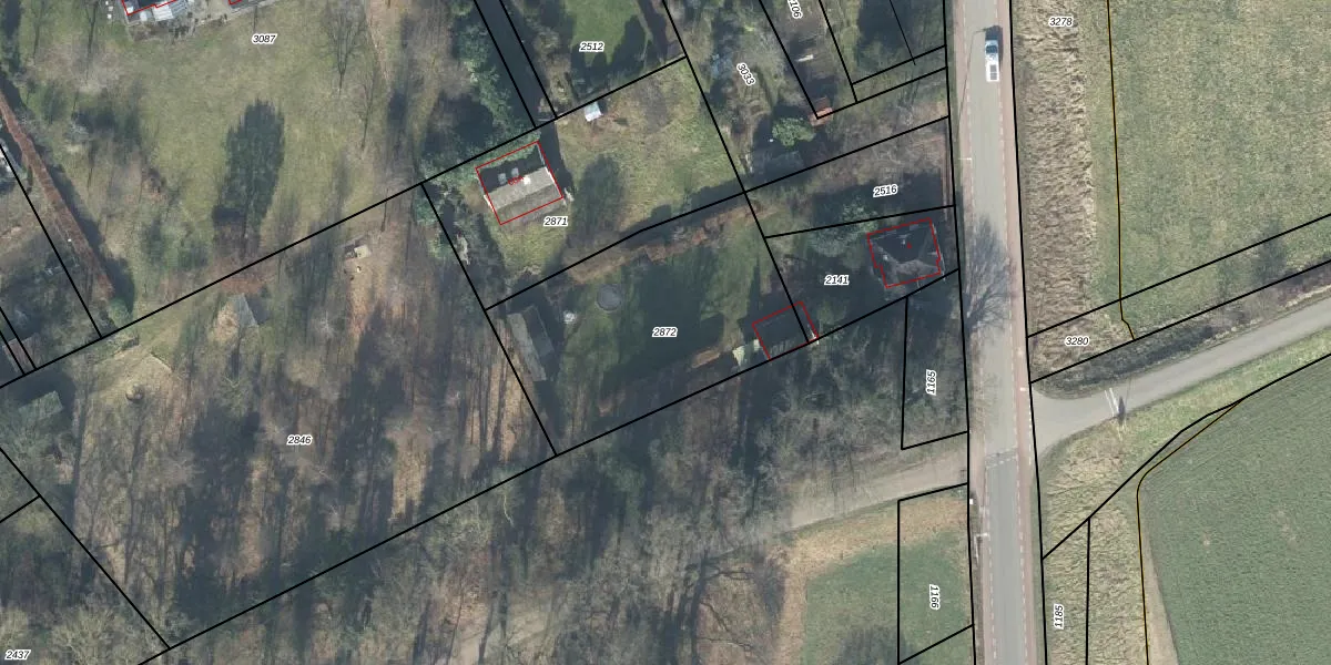
Perceel: WIL00-A-2872
KadastraleKaart.com kan meer dan je denktOntdek meer ›
Filter op bestemming 50+ datasets Eigendomsdata in één klik Percelen CRM
Geen adressen bij dit perceel
1.100 m2 - 134 m
Eigenaar opvragen
WIL00-A-2872 (Wilp)
- Geen postcode aanwezig
7AfQeZK0hm7Dxs9kSsUpgrade naar KadastraleKaart Pro
Bekijk op Street View
Download DWG/DXF/Excel
FLcBIWrr6XSjIRBvBpUpgrade naar KadastraleKaart Pro
V1 Ydz2QnqJUpgrade naar KadastraleKaart Pro
i8ovjbDDEj v9xRZPLUpgrade naar KadastraleKaart Pro
vE edUKe 54E5CxplruAUpgrade naar KadastraleKaart Pro
RrbbSIX x Upgrade naar KadastraleKaart Pro
Jm juGXi oiHnPAY1uOiKVUpgrade naar KadastraleKaart Pro
Ip0hLOAji2sNJFn7gAtIA6TUpgrade naar KadastraleKaart Pro
c75A vQuUpgrade naar KadastraleKaart Pro
Ka mIj1r8aZRC Yqi Upgrade naar KadastraleKaart Pro
RVhPVSpd3Zw2i8Wwd6p0HUpgrade naar KadastraleKaart Pro
20/03/2002

Percelen
Gebruik de zoekbalk of klik op een perceel om informatie over het perceel te bekijken.