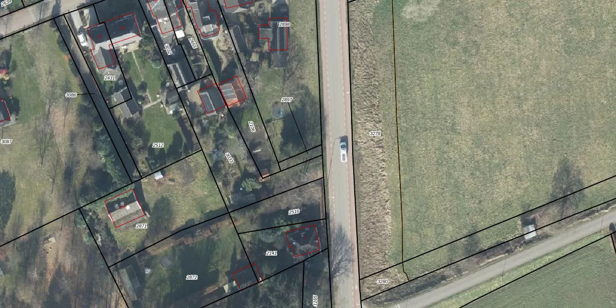
Perceel: WIL00-A-2897
KadastraleKaart.com kan meer dan je denktOntdek meer ›
Filter op bestemming 50+ datasets Eigendomsdata in één klik Percelen CRM
Geen adressen bij dit perceel
50 m2 - 36 m
Eigenaar opvragen
WIL00-A-2897 (Wilp)
- Geen postcode aanwezig
vX3jINAFObS5 cbo7wuQUpgrade naar KadastraleKaart Pro
Bekijk op Street View
Download DWG/DXF/Excel
htIoBcKflHDRQk8ZaUpgrade naar KadastraleKaart Pro
nWwDf7v0SU 5fEhzr8RYyPoUpgrade naar KadastraleKaart Pro
B9vw uFqNxiRUpgrade naar KadastraleKaart Pro
vnE YeUCQGz0wJUpgrade naar KadastraleKaart Pro
dv bgbxYUpgrade naar KadastraleKaart Pro
5RMVYsxVTqC d bNbUpgrade naar KadastraleKaart Pro
bnxLkOEkdndRohQaiy74MFUpgrade naar KadastraleKaart Pro
m5ksn8Dm8B0LSfw pHUpgrade naar KadastraleKaart Pro
Dc8X V EHi0 JUpgrade naar KadastraleKaart Pro
A5MMgxbLwq93aUpgrade naar KadastraleKaart Pro
20/03/2002

Percelen
Gebruik de zoekbalk of klik op een perceel om informatie over het perceel te bekijken.