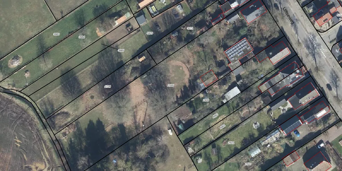
Perceel: WIS00-E-2595
KadastraleKaart.com kan meer dan je denktOntdek meer ›
Filter op bestemming 50+ datasets Eigendomsdata in één klik Percelen CRM
4.140 m2 - 349 m
Eigenaar opvragen
WIS00-E-2595 (Wisch)
- 7064 BG
waFK UhKDXzQm975uajCZ o76Upgrade naar KadastraleKaart Pro
Bekijk op Street View
Download DWG/DXF/Excel
1tIPx pW88KOWCPcTUpgrade naar KadastraleKaart Pro
ncCk0jeN5I mUpgrade naar KadastraleKaart Pro
fcvQ JgIChKbbD6LzZH eMUpgrade naar KadastraleKaart Pro
eCVhIcSf0epUpgrade naar KadastraleKaart Pro
cE0IiBsFUpgrade naar KadastraleKaart Pro
9 l gbH esUpgrade naar KadastraleKaart Pro
98vH RxwUpgrade naar KadastraleKaart Pro
xUE zFkU fGLCpNBGCUpgrade naar KadastraleKaart Pro
jdud dz0zuRhWnbQas35tUpgrade naar KadastraleKaart Pro
zpJBu pG rAi3Upgrade naar KadastraleKaart Pro
07/06/2000

Percelen
Gebruik de zoekbalk of klik op een perceel om informatie over het perceel te bekijken.