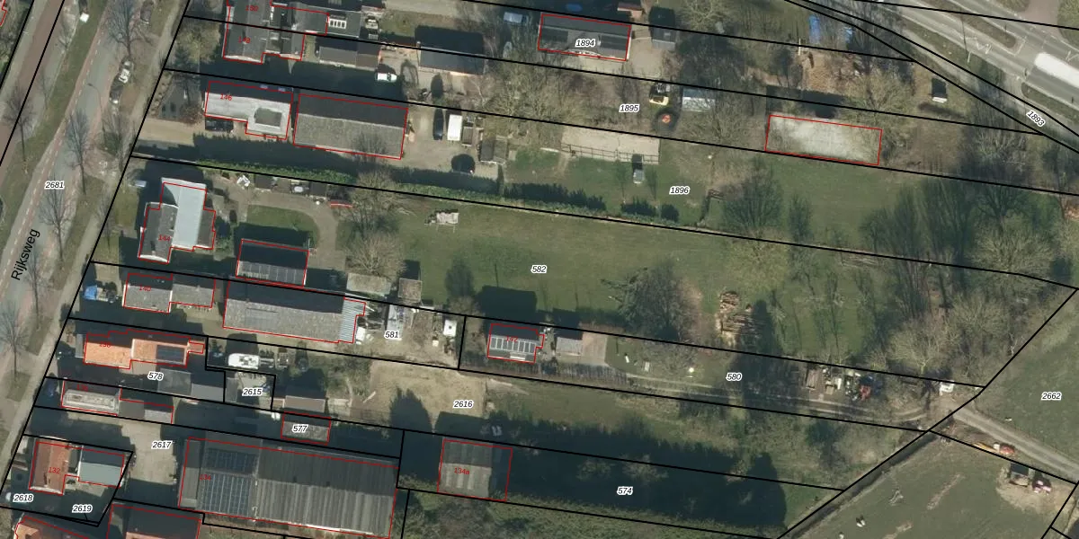
Perceel: WKD00-T-582
KadastraleKaart.com kan meer dan je denktOntdek meer ›
Filter op bestemming 50+ datasets Eigendomsdata in één klik Percelen CRM
3.650 m2 - 391 m
Eigenaar opvragen
WKD00-T-582 (Werkendam)
- 4255 GP
vUEJeuR7cd4n6G20ytMKr1B EEXUpgrade naar KadastraleKaart Pro
Bekijk op Street View
Download DWG/DXF/Excel
uarZH86cDUpgrade naar KadastraleKaart Pro
WfR Df4EJ1Cd J1eUpgrade naar KadastraleKaart Pro
n o96z It1qEwCbD8yXsVkWUpgrade naar KadastraleKaart Pro
B748QqQjyJWcctYktUpgrade naar KadastraleKaart Pro
9 tqYAEkEWA37A18BChxIUpgrade naar KadastraleKaart Pro
ji8orvw f9GIWDbUpgrade naar KadastraleKaart Pro
gVozAPrp2DGLbSWy YmXUpgrade naar KadastraleKaart Pro
v 4Qqfv 5LNNDQQ5BeNUpgrade naar KadastraleKaart Pro
H8W6nlORmPTYyUpgrade naar KadastraleKaart Pro
1ravciKN4zaQpOSUpgrade naar KadastraleKaart Pro
21/05/2010

Percelen
Gebruik de zoekbalk of klik op een perceel om informatie over het perceel te bekijken.