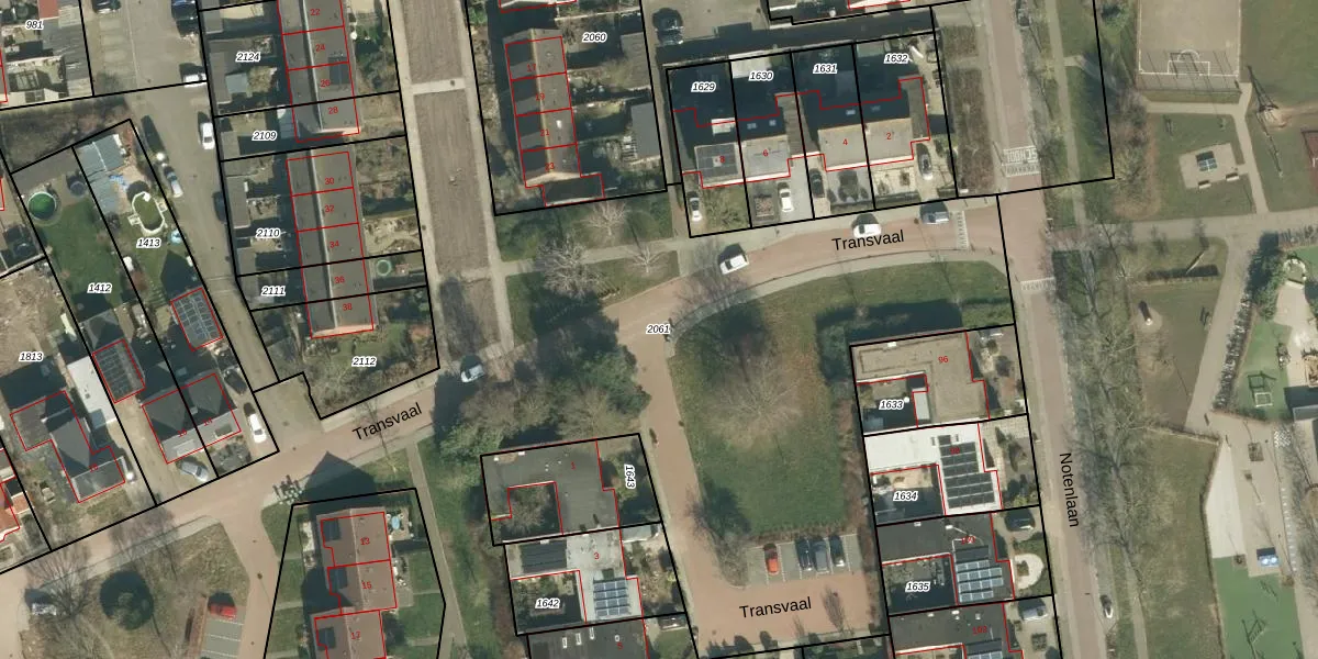
Perceel: WKD00-W-2061
KadastraleKaart.com kan meer dan je denktOntdek meer ›
Filter op bestemming 50+ datasets Eigendomsdata in één klik Percelen CRM
Geen adressen bij dit perceel
9.283 m2 - 1.080 m
Eigenaar opvragen
WKD00-W-2061 (Werkendam)
- Geen postcode aanwezig
WbpqmM dh Q 70D0534Vwq6CuAJUpgrade naar KadastraleKaart Pro
Bekijk op Street View
Download DWG/DXF/Excel
78koH2YycQL Upgrade naar KadastraleKaart Pro
pL3fnj u3Yve0qUpgrade naar KadastraleKaart Pro
1Lk E91tb d0WOUpgrade naar KadastraleKaart Pro
0j2HBRjkmUpgrade naar KadastraleKaart Pro
bEebOr0SdmLgVpUpgrade naar KadastraleKaart Pro
WjBjE E54Bf3nPsDUpgrade naar KadastraleKaart Pro
Id5huY l56Upgrade naar KadastraleKaart Pro
rCoZ0Oj9Upgrade naar KadastraleKaart Pro
eJUh0vnkSU2hcD2g0uUpgrade naar KadastraleKaart Pro
Yz1Pk2o us2ooQaXMp5Upgrade naar KadastraleKaart Pro
16/08/2024

Percelen
Gebruik de zoekbalk of klik op een perceel om informatie over het perceel te bekijken.