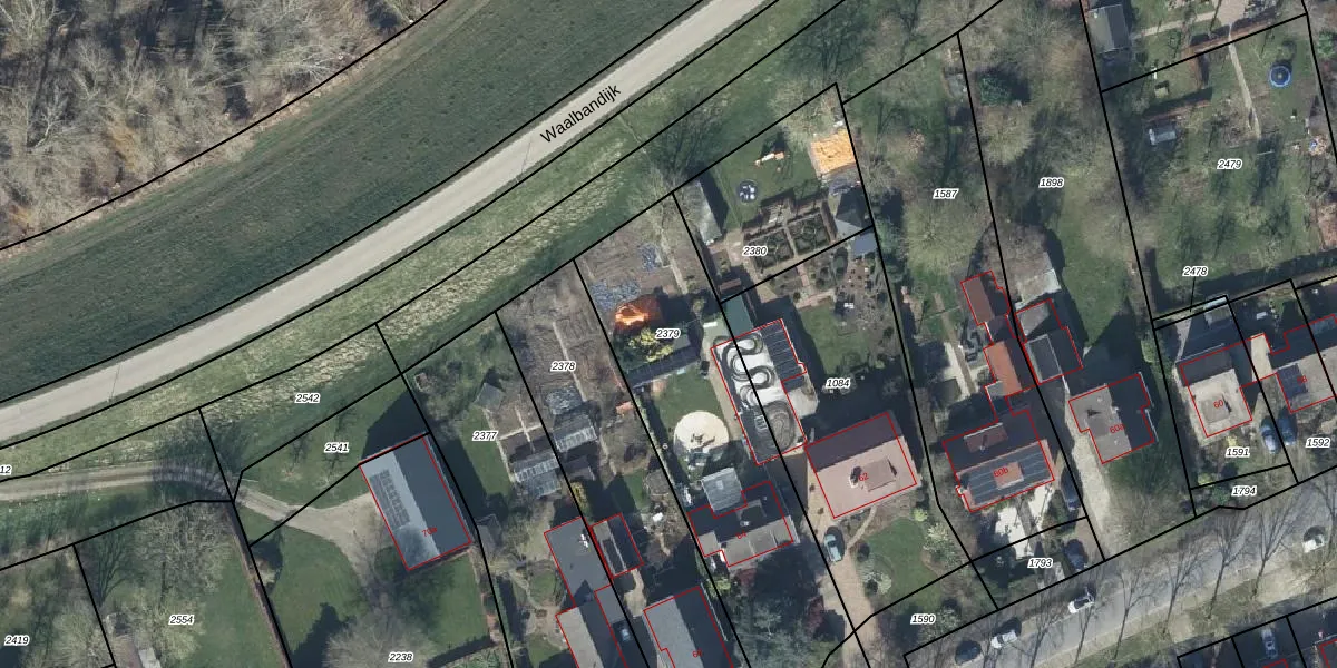
Perceel: WML00-F-2379
KadastraleKaart.com kan meer dan je denktOntdek meer ›
Filter op bestemming 50+ datasets Eigendomsdata in één klik Percelen CRM
1.253 m2 - 183 m
Eigenaar opvragen
WML00-F-2379 (Wamel)
- 6659 CP
lsP8lOCL3g5rmG eVYWXKUpgrade naar KadastraleKaart Pro
Bekijk op Street View
Download DWG/DXF/Excel
du6Z621kQKUpgrade naar KadastraleKaart Pro
IFiAW2MqxpGy Upgrade naar KadastraleKaart Pro
SJI3kgnAgUpgrade naar KadastraleKaart Pro
L9jCljCN4 KuUpgrade naar KadastraleKaart Pro
MwxhQzI5OXy0TIZxb 1GheUpgrade naar KadastraleKaart Pro
gc8tPgwNcz7E9NnrMUpgrade naar KadastraleKaart Pro
4caUjkVyKXXKmlGUpgrade naar KadastraleKaart Pro
F8KlzibW9Upgrade naar KadastraleKaart Pro
VxLgZguBuzJhsfBGUpgrade naar KadastraleKaart Pro
PZlPzpoJn9dqR4twyyUpgrade naar KadastraleKaart Pro
28/10/1999

Percelen
Gebruik de zoekbalk of klik op een perceel om informatie over het perceel te bekijken.