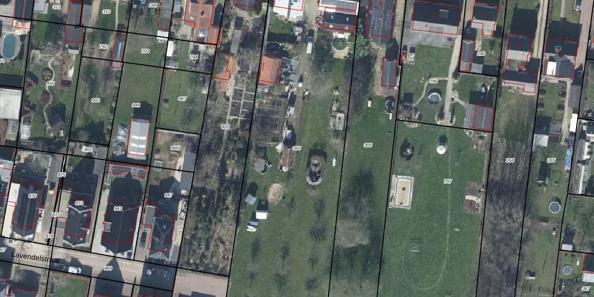
Perceel: WML00-L-365
KadastraleKaart.com kan meer dan je denktOntdek meer ›
Filter op bestemming 50+ datasets Eigendomsdata in één klik Percelen CRM
4.191 m2 - 324 m
Eigenaar opvragen
WML00-L-365 (Wamel)
- 6657 BC
uD9Iojm6OaaEjJ2BRAay2gRgF qSdUpgrade naar KadastraleKaart Pro
Verkoopprijs opvragen
Bekijk op Street View
Download DWG/DXF/Excel
AXk329R6y7 fEKeOp KUpgrade naar KadastraleKaart Pro
AddVNtBVqjEeAsPxU4xc8Upgrade naar KadastraleKaart Pro
gtxBIcGLpKHQ1G mq9Upgrade naar KadastraleKaart Pro
cmplnNOefP qJruuPKIHNUpgrade naar KadastraleKaart Pro
jaxJUQV9QxVFsybMiJtLUpgrade naar KadastraleKaart Pro
wYH0fGmoQkyaMtbUpgrade naar KadastraleKaart Pro
UuDafi3xHjMAW8mKVraVpOUpgrade naar KadastraleKaart Pro
6d ZccGrzAfhkSHqLi zzgfUpgrade naar KadastraleKaart Pro
2qcH9mOzcUpgrade naar KadastraleKaart Pro
wANs118ltoRSRpb72Upgrade naar KadastraleKaart Pro
09/03/2017

Percelen
Gebruik de zoekbalk of klik op een perceel om informatie over het perceel te bekijken.