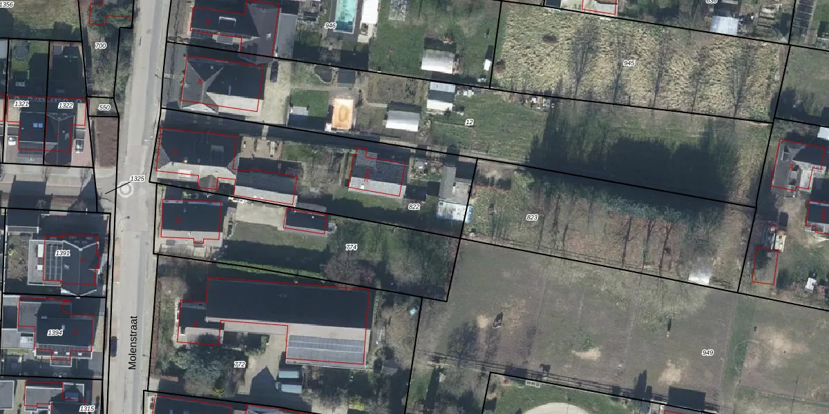
Perceel: WML00-L-822
KadastraleKaart.com kan meer dan je denktOntdek meer ›
Filter op bestemming 50+ datasets Eigendomsdata in één klik Percelen CRM
1.435 m2 - 191 m
Eigenaar opvragen
WML00-L-822 (Wamel)
- 6657 BW
Q lQjKHvR1ucjcaMPt Upgrade naar KadastraleKaart Pro
Verkoopprijs opvragen
Bekijk op Street View
Download DWG/DXF/Excel
O6 Ty9jpwLCaeN 1RJoPrGkUpgrade naar KadastraleKaart Pro
6JZfB6pc zucUpgrade naar KadastraleKaart Pro
4K4 vt0PHEDMkWtW4KUpgrade naar KadastraleKaart Pro
DOgSmWbtzEsBgj37H3Upgrade naar KadastraleKaart Pro
p94UXEwzbBMSyp Upgrade naar KadastraleKaart Pro
cQOBFWckdFJpEUpgrade naar KadastraleKaart Pro
zE3HkDBvOzXV27TQurMO Upgrade naar KadastraleKaart Pro
vKKeve9QxQ5VuyUpgrade naar KadastraleKaart Pro
Xgkwg9I vUpgrade naar KadastraleKaart Pro
exGGkE5E4qvUpgrade naar KadastraleKaart Pro
05/11/2012

Percelen
Gebruik de zoekbalk of klik op een perceel om informatie over het perceel te bekijken.