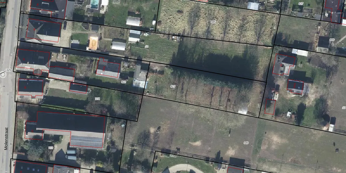
Perceel: WML00-L-823
KadastraleKaart.com kan meer dan je denktOntdek meer ›
Filter op bestemming 50+ datasets Eigendomsdata in één klik Percelen CRM
Geen adressen bij dit perceel
1.380 m2 - 177 m
Eigenaar opvragen
WML00-L-823 (Wamel)
- Geen postcode aanwezig
Y Cqh gYGJ8ywX h4EzJUpgrade naar KadastraleKaart Pro
Bekijk op Street View
Download DWG/DXF/Excel
QGaPqIPB0b8LcVlWII9JUpgrade naar KadastraleKaart Pro
LaC9 niHlA MUpgrade naar KadastraleKaart Pro
PXt3N yv2vTx5hUA TYUpgrade naar KadastraleKaart Pro
OCx WAlkSD9dL8z8h3eLdhVUpgrade naar KadastraleKaart Pro
q7gs7Uhp8m5CeqUpgrade naar KadastraleKaart Pro
hrjzOH2NsRZLNRUTcpyS63Upgrade naar KadastraleKaart Pro
MyX NtWvUpgrade naar KadastraleKaart Pro
Laj0J 8KNLxjD0Vw OQlE59Upgrade naar KadastraleKaart Pro
RHp LblQj3vew ARbgUpgrade naar KadastraleKaart Pro
NgBF 0DQyoD9Upgrade naar KadastraleKaart Pro
05/11/2012

Percelen
Gebruik de zoekbalk of klik op een perceel om informatie over het perceel te bekijken.