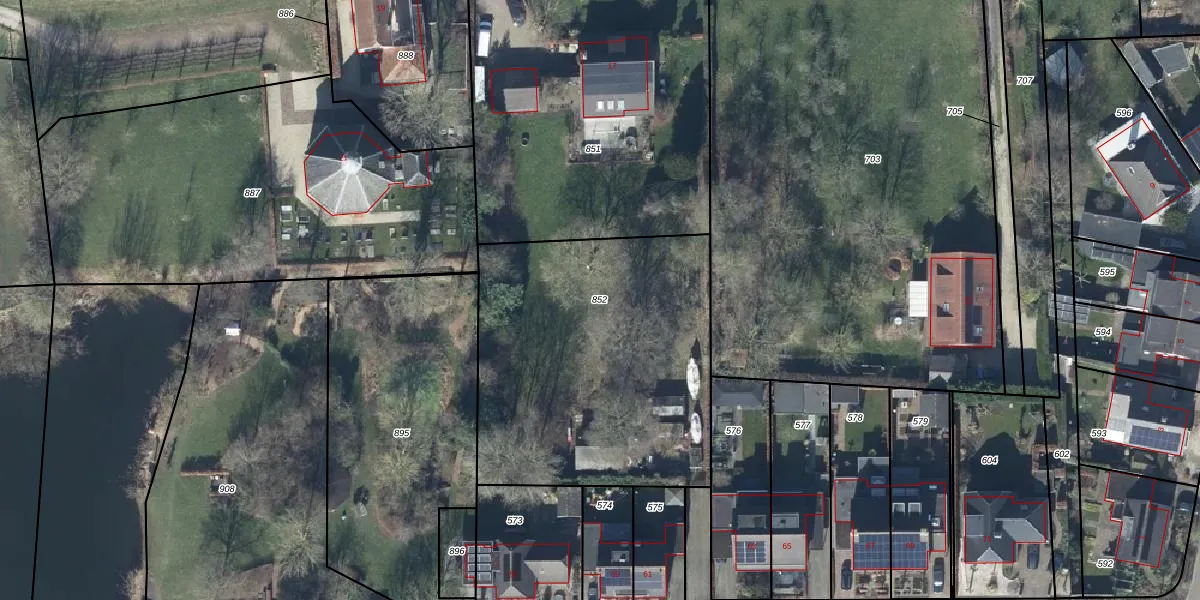
Perceel: WML00-L-852
KadastraleKaart.com kan meer dan je denktOntdek meer ›
Filter op bestemming 50+ datasets Eigendomsdata in één klik Percelen CRM
Geen adressen bij dit perceel
1.595 m2 - 160 m
Eigenaar opvragen
WML00-L-852 (Wamel)
- Geen postcode aanwezig
CPqT720N 7dRjG TZUpgrade naar KadastraleKaart Pro
Bekijk op Street View
Download DWG/DXF/Excel
K9SklVBSMNjd GNGa Q0Upgrade naar KadastraleKaart Pro
tSEVCx evndh3qdmP Upgrade naar KadastraleKaart Pro
w49qcpK9A1 QPJnrEJ3Y53AUpgrade naar KadastraleKaart Pro
k7TCw3RtUpgrade naar KadastraleKaart Pro
V2 n0WvcUpgrade naar KadastraleKaart Pro
o8IpZugv BxygCuH2WUpgrade naar KadastraleKaart Pro
B v6MNIVn9lItevByap6Upgrade naar KadastraleKaart Pro
mEIZqir81qUpgrade naar KadastraleKaart Pro
1ZD9un1cxZTw7Upgrade naar KadastraleKaart Pro
xo3rlFJqTqm6 heVHUpgrade naar KadastraleKaart Pro
18/11/2013

Percelen
Gebruik de zoekbalk of klik op een perceel om informatie over het perceel te bekijken.