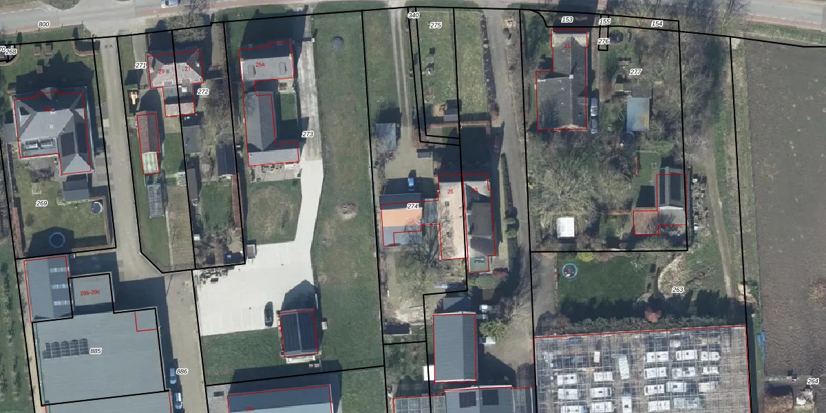
Perceel: WML00-M-274
KadastraleKaart.com kan meer dan je denktOntdek meer ›
Filter op bestemming 50+ datasets Eigendomsdata in één klik Percelen CRM
1.256 m2 - 202 m
Eigenaar opvragen
WML00-M-274 (Wamel)
- 6659 AE
i5zWHdyVzzmnDUFLQ1G7vmHqZrJINeUpgrade naar KadastraleKaart Pro
Bekijk op Street View
Download DWG/DXF/Excel
vgyHEwdvJg McCZ2rFMQwQKUpgrade naar KadastraleKaart Pro
8 X79QsIHFf9UdUpgrade naar KadastraleKaart Pro
uO9z5SUM6I Qh6r50X NjEiUpgrade naar KadastraleKaart Pro
0brY3 hUpgrade naar KadastraleKaart Pro
9 o uOWVNgj7S 4eI M4AUpgrade naar KadastraleKaart Pro
uf8yep3iSyUpgrade naar KadastraleKaart Pro
fYiyPtmzswQ tY9JJ Upgrade naar KadastraleKaart Pro
n7 Ez QW5gszUpgrade naar KadastraleKaart Pro
ii VCi hyJSbiJPHCT8yoFUpgrade naar KadastraleKaart Pro
TH8hawh0Fi7RUpgrade naar KadastraleKaart Pro
28/01/2013

Percelen
Gebruik de zoekbalk of klik op een perceel om informatie over het perceel te bekijken.