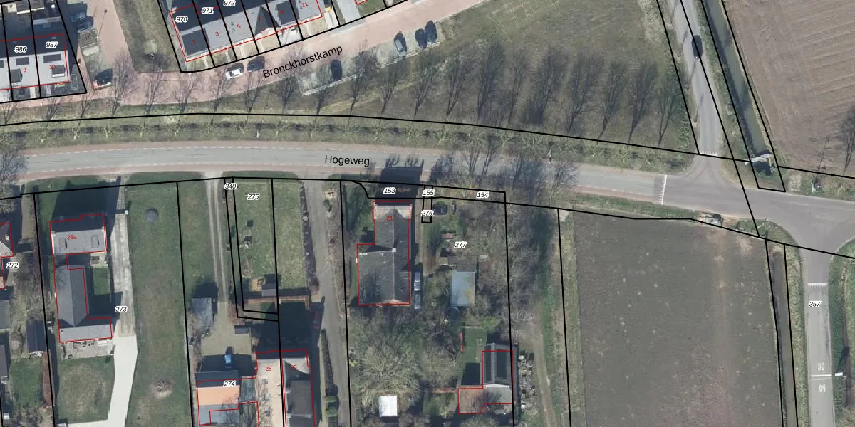
Perceel: WML00-M-276
KadastraleKaart.com kan meer dan je denktOntdek meer ›
Filter op bestemming 50+ datasets Eigendomsdata in één klik Percelen CRM
Geen adressen bij dit perceel
5 m2 - 15 m
Eigenaar opvragen
WML00-M-276 (Wamel)
- Geen postcode aanwezig
IZlpqJ EPDY ft29Yk47zAUpgrade naar KadastraleKaart Pro
Bekijk op Street View
Download DWG/DXF/Excel
xDTajAVdpUyN9RW G aNr6ZUpgrade naar KadastraleKaart Pro
hxqHrxfYwtJhc1SUpgrade naar KadastraleKaart Pro
t1If ftulx2Upgrade naar KadastraleKaart Pro
4tett K0qlkDMnXKUpgrade naar KadastraleKaart Pro
8TnzQJPccfsae3K8PybwoUpgrade naar KadastraleKaart Pro
A sw nzCkpCWXNyUpgrade naar KadastraleKaart Pro
DOz3 SYWYf kHFG8qUpgrade naar KadastraleKaart Pro
l LogagJ3 wUpgrade naar KadastraleKaart Pro
DOsDkAbCQUpgrade naar KadastraleKaart Pro
cK DXMIdtsZ6dh54IqzPG1GUpgrade naar KadastraleKaart Pro
28/01/2013

Percelen
Gebruik de zoekbalk of klik op een perceel om informatie over het perceel te bekijken.