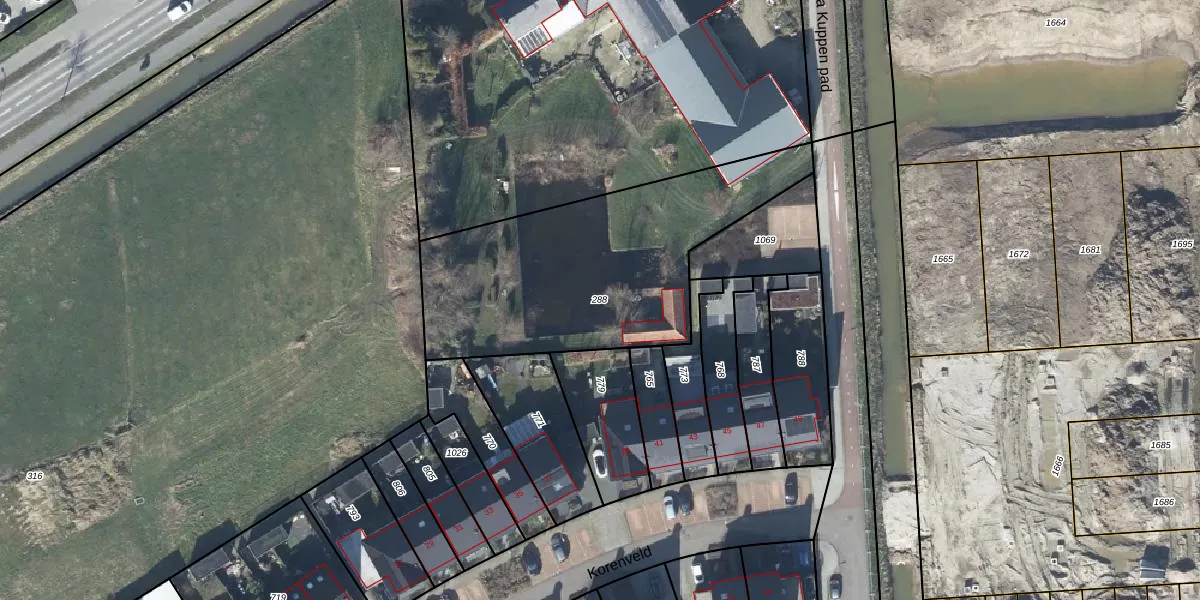
Perceel: WML00-N-288
KadastraleKaart.com kan meer dan je denktOntdek meer ›
Filter op bestemming 50+ datasets Eigendomsdata in één klik Percelen CRM
Geen adressen bij dit perceel
1.280 m2 - 177 m
Eigenaar opvragen
WML00-N-288 (Wamel)
- Geen postcode aanwezig
ipTDguw 7Oie4Q8L1 l w03dUpgrade naar KadastraleKaart Pro
Bekijk op Street View
Download DWG/DXF/Excel
B3K6f6px m DfzUpgrade naar KadastraleKaart Pro
we3PmFNgH2UiqBOUpgrade naar KadastraleKaart Pro
uu y79pTUpgrade naar KadastraleKaart Pro
t HT39EqLkhRySUpgrade naar KadastraleKaart Pro
ID7rNYthzD7kMTrMUpgrade naar KadastraleKaart Pro
0 oKd KNkLcUZ5NhmNCGwnUpgrade naar KadastraleKaart Pro
XF6Sr N kQ5MDVI3Upgrade naar KadastraleKaart Pro
UtIl6092buoHSuyg1M7N gUpgrade naar KadastraleKaart Pro
UgwRQYvoT1JBZbuzOMkxUpgrade naar KadastraleKaart Pro
J8yymz JFE8Upgrade naar KadastraleKaart Pro
06/10/2017

Percelen
Gebruik de zoekbalk of klik op een perceel om informatie over het perceel te bekijken.