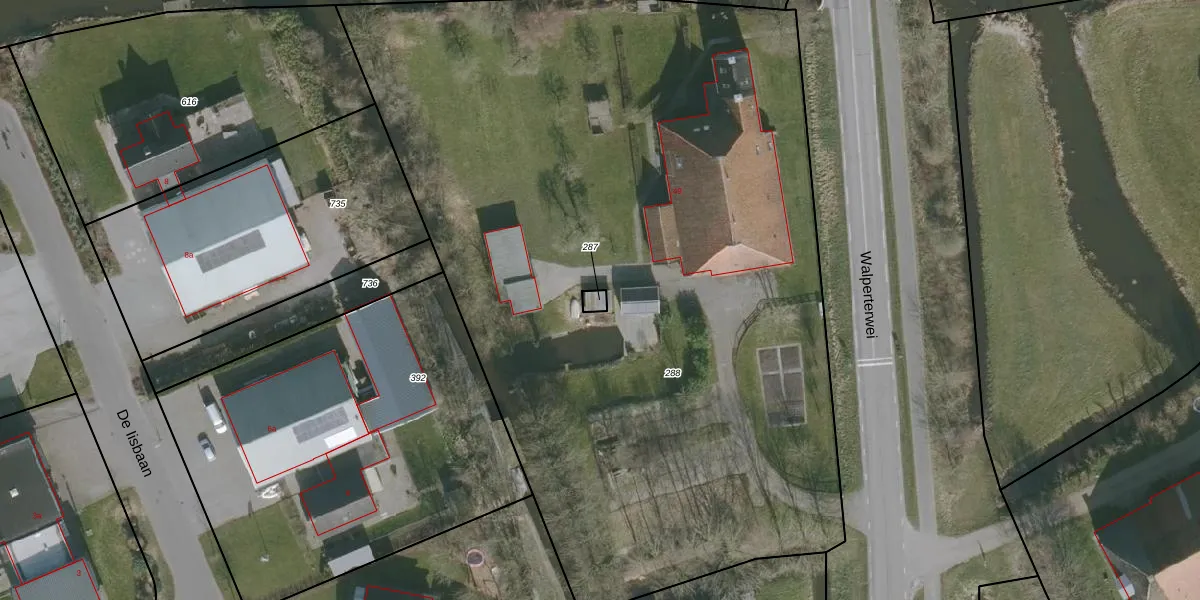
Perceel: WMS02-L-287
KadastraleKaart.com kan meer dan je denktOntdek meer ›
Filter op bestemming 50+ datasets Eigendomsdata in één klik Percelen CRM
Geen adressen bij dit perceel
14 m2 - 15 m
Eigenaar opvragen
WMS02-L-287 (Wommels)
- Geen postcode aanwezig
d6g2bZvaG AhVBT65MeAF5jCf 27yUpgrade naar KadastraleKaart Pro
Bekijk op Street View
Download DWG/DXF/Excel
MIxYnjqbSfhUpgrade naar KadastraleKaart Pro
Bjx sjkbs PilUpgrade naar KadastraleKaart Pro
hj6r S 1tmRW 8Or0 W1HUpgrade naar KadastraleKaart Pro
aCqo 5mCUpgrade naar KadastraleKaart Pro
uvHoBYYmDcW338mzO5P2JoUpgrade naar KadastraleKaart Pro
yU8f1ce3QmGqQtUpgrade naar KadastraleKaart Pro
DrBqX5GxpECUpgrade naar KadastraleKaart Pro
FNhDJQmsZ8ZUpgrade naar KadastraleKaart Pro
Vb17JZ0hPfUpgrade naar KadastraleKaart Pro
TBb vZldOZUpgrade naar KadastraleKaart Pro
29/06/1999

Percelen
Gebruik de zoekbalk of klik op een perceel om informatie over het perceel te bekijken.