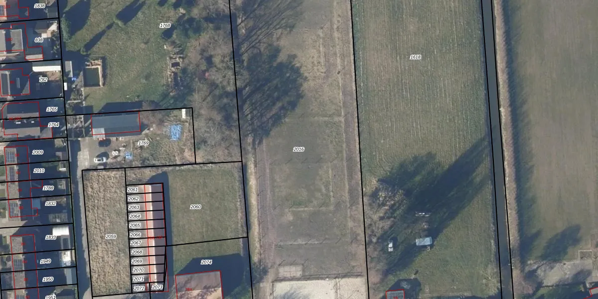
Perceel: WNM00-H-2016
KadastraleKaart.com kan meer dan je denktOntdek meer ›
Filter op bestemming 50+ datasets Eigendomsdata in één klik Percelen CRM
8.220 m2 - 514 m
Eigenaar opvragen
WNM00-H-2016 (Wognum)
- 1688 CZ
M BUUDGQ RU8KtA 1Upgrade naar KadastraleKaart Pro
Bekijk op Street View
Download DWG/DXF/Excel
0t8Ay5eACn2r3CmIEDEuHbUpgrade naar KadastraleKaart Pro
f9qQgtd sFfYUpgrade naar KadastraleKaart Pro
gbnxMNmS72UKZjWe0Upgrade naar KadastraleKaart Pro
QE0PD8c4RTLUUpgrade naar KadastraleKaart Pro
ieOAAVnQ tCUpgrade naar KadastraleKaart Pro
9yy k2hWvMsqeUpgrade naar KadastraleKaart Pro
F6sgstHro5BglJutyxwmQUpgrade naar KadastraleKaart Pro
CBnSInMVJpO DKKaKUpgrade naar KadastraleKaart Pro
AwaeABK MUpgrade naar KadastraleKaart Pro
SUTE1EDATZ9Upgrade naar KadastraleKaart Pro
05/06/2024

Percelen
Gebruik de zoekbalk of klik op een perceel om informatie over het perceel te bekijken.