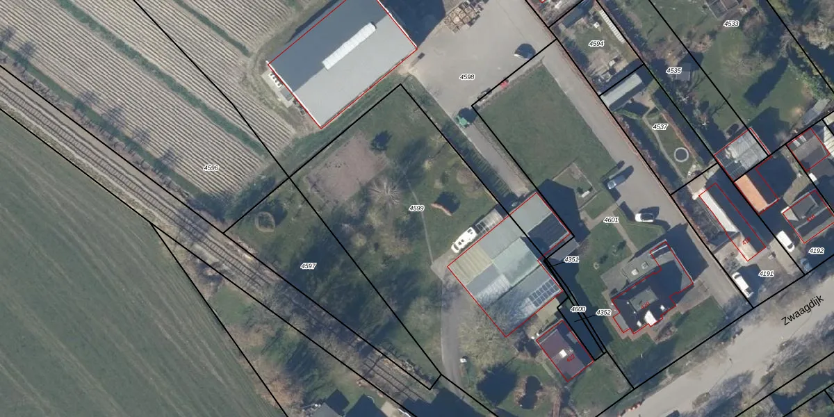
Perceel: WNM00-K-4599
KadastraleKaart.com kan meer dan je denktOntdek meer ›
Filter op bestemming 50+ datasets Eigendomsdata in één klik Percelen CRM
3.055 m2 - 252 m
Eigenaar opvragen
WNM00-K-4599 (Wognum)
- 1686 PJ
VJFSuRuQOZKhXTD0hAUpgrade naar KadastraleKaart Pro
Bekijk op Street View
Download DWG/DXF/Excel
M9fBiiVe c eNAUpgrade naar KadastraleKaart Pro
8UOXA voBmHM7095Upgrade naar KadastraleKaart Pro
5WAz acHQYQjTUpgrade naar KadastraleKaart Pro
L4h8akM WALNbUpgrade naar KadastraleKaart Pro
7Xae2ELoFF3Zv1spaWjz2WUpgrade naar KadastraleKaart Pro
9h9 Q63tSE1 HRYEUpgrade naar KadastraleKaart Pro
W82vz78 iwyUpgrade naar KadastraleKaart Pro
RhG6A21xx DsJ u BUpgrade naar KadastraleKaart Pro
xvTACkWJNB12JDjOmhUpgrade naar KadastraleKaart Pro
OsDd d6zPSfCUpgrade naar KadastraleKaart Pro
26/05/2016

Percelen
Gebruik de zoekbalk of klik op een perceel om informatie over het perceel te bekijken.