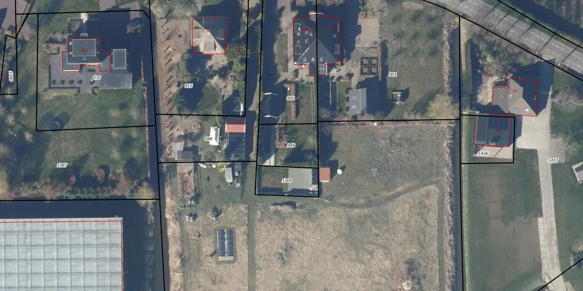
Perceel: WNM00-N-949
KadastraleKaart.com kan meer dan je denktOntdek meer ›
Filter op bestemming 50+ datasets Eigendomsdata in één klik Percelen CRM
Geen adressen bij dit perceel
305 m2 - 71 m
Eigenaar opvragen
WNM00-N-949 (Wognum)
- Geen postcode aanwezig
JkB2gsaQrJLV9c J0 CUpgrade naar KadastraleKaart Pro
Bekijk op Street View
Download DWG/DXF/Excel
4GB ML9D96SIOL4CAmbL Upgrade naar KadastraleKaart Pro
0tbMabaL 8khwCmKfWc7Upgrade naar KadastraleKaart Pro
NW JmIV0PXgRRukyUpgrade naar KadastraleKaart Pro
QxSj2bm A7RFJ1ioI7 UUpgrade naar KadastraleKaart Pro
ejC3RgMWptRUpgrade naar KadastraleKaart Pro
UqUmtVNQ2yNHYn4Upgrade naar KadastraleKaart Pro
8hmLDlISUpgrade naar KadastraleKaart Pro
rYMFVnwptw PzXx4Su73IBUpgrade naar KadastraleKaart Pro
exnIFb1SHORh XyV67zBXUpgrade naar KadastraleKaart Pro
WZm cx Upgrade naar KadastraleKaart Pro
28/04/2010

Percelen
Gebruik de zoekbalk of klik op een perceel om informatie over het perceel te bekijken.