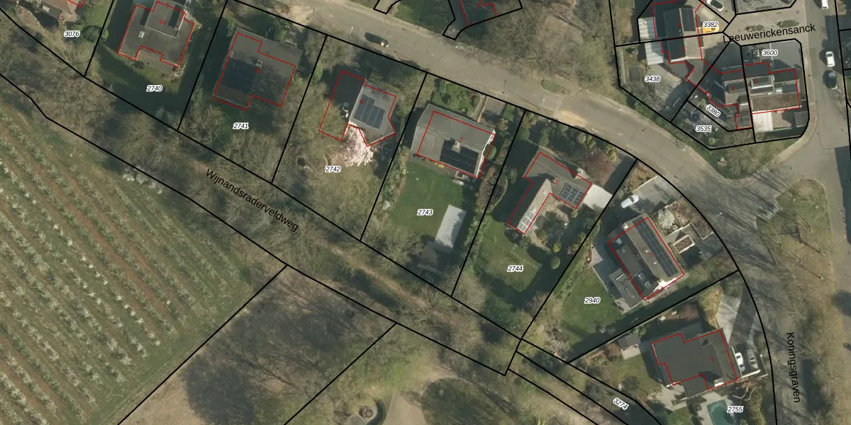
Perceel: WNR00-A-2743
KadastraleKaart.com kan meer dan je denktOntdek meer ›
Filter op bestemming 50+ datasets Eigendomsdata in één klik Percelen CRM
1.126 m2 - 140 m
Eigenaar opvragen
WNR00-A-2743 (Wijnandsrade)
- 6363 BD
eHG78 Zxi1 s72Ks nkiZJUpgrade naar KadastraleKaart Pro
Verkoopprijs opvragen
Bekijk op Street View
Download DWG/DXF/Excel
O D1NuOA1Aeo3 WUpgrade naar KadastraleKaart Pro
JuD2Hz49Upgrade naar KadastraleKaart Pro
KX 0nhM54 hkIKxFUUpgrade naar KadastraleKaart Pro
rBBYD1hr8Upgrade naar KadastraleKaart Pro
i51Ptp7M bM6LRdY8 JUpgrade naar KadastraleKaart Pro
R1uAL xWfjdBVaRvUpgrade naar KadastraleKaart Pro
yT ZskHk RY xNDTdnUpgrade naar KadastraleKaart Pro
IougBlM3 KTE8c07Upgrade naar KadastraleKaart Pro
pSLHtqYtnq5 Ws3 Upgrade naar KadastraleKaart Pro
3fBMKB TtX6Upgrade naar KadastraleKaart Pro
20/12/2010

Percelen
Gebruik de zoekbalk of klik op een perceel om informatie over het perceel te bekijken.