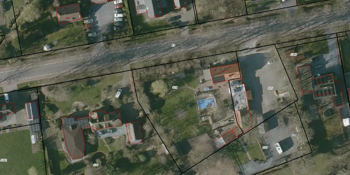
Perceel: WOU00-O-924
KadastraleKaart.com kan meer dan je denktOntdek meer ›
Filter op bestemming 50+ datasets Eigendomsdata in één klik Percelen CRM
2.780 m2 - 224 m
Eigenaar opvragen
WOU00-O-924 (Wouw)
- 4724 SG
1o8asJ3lHZXc L Q9RtQvv5qmzugUpcUpgrade naar KadastraleKaart Pro
Verkoopprijs opvragen
Bekijk op Street View
Download DWG/DXF/Excel
kLPLqlxetUpgrade naar KadastraleKaart Pro
MIjuhm MM o Wg Q7XxMyUpgrade naar KadastraleKaart Pro
A544uW78QsHZGUpgrade naar KadastraleKaart Pro
jPcI71iK5MK7vRrD1hC6vUpgrade naar KadastraleKaart Pro
xdIBMlgRt tux3i8Upgrade naar KadastraleKaart Pro
IlmeIm98 1QGvqoNBEI1Upgrade naar KadastraleKaart Pro
sbU 718ZF1tWAdEZ LmHS5PUpgrade naar KadastraleKaart Pro
Bd7EDRGnEwqs1ZFO MOYU Upgrade naar KadastraleKaart Pro
7vxEg8 eV25hdG NUpgrade naar KadastraleKaart Pro
2UKLavojCQfz0768gzUpgrade naar KadastraleKaart Pro
15/02/2011

Percelen
Gebruik de zoekbalk of klik op een perceel om informatie over het perceel te bekijken.