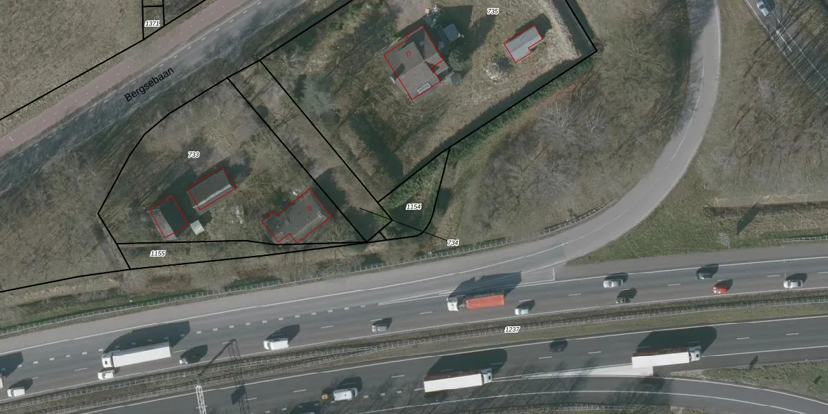
Perceel: WOU00-P-1154
Geen adressen bij dit perceel
188 m2 - 65 m
Eigenaar opvragen
WOU00-P-1154 (Wouw)
- Geen postcode aanwezig
6BIQVdD 2rC5p6YEiuEUhUpgrade naar KadastraleKaart Pro
Bekijk op Street View
Download DWG/DXF/Excel
GCt ZYCE lAxB2 oUpgrade naar KadastraleKaart Pro
zQa0crde aqej25 6eJCkUpgrade naar KadastraleKaart Pro
i bieA UepTrY 95cojwkWUpgrade naar KadastraleKaart Pro
y0HKrSYs3 8HWgeDkaUpgrade naar KadastraleKaart Pro
7Wx 56Upgrade naar KadastraleKaart Pro
gRL11ISMUpgrade naar KadastraleKaart Pro
e0 Zy1 AjB9SZ2sgUpgrade naar KadastraleKaart Pro
4zpOlh1mEGiUpgrade naar KadastraleKaart Pro
6Gzk8 8Z9W8Upgrade naar KadastraleKaart Pro
xPmaqzKPMW9fZ4rVUpgrade naar KadastraleKaart Pro
23/05/2007

Percelen
Gebruik de zoekbalk of klik op een perceel om informatie over het perceel te bekijken.