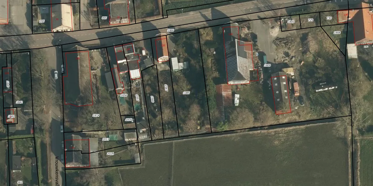
Perceel: WPK01-D-1385
KadastraleKaart.com kan meer dan je denktOntdek meer ›
Filter op bestemming 50+ datasets Eigendomsdata in één klik Percelen CRM
Geen adressen bij dit perceel
980 m2 - 147 m
Eigenaar opvragen
WPK01-D-1385 (Waspik)
- Geen postcode aanwezig
F hxSNnfy7PQsXivwa Wfo5JKAZUpgrade naar KadastraleKaart Pro
Bekijk op Street View
Download DWG/DXF/Excel
sto LQ RfN2oqLjG 2DYUpgrade naar KadastraleKaart Pro
Yac7bvavJF FBg Upgrade naar KadastraleKaart Pro
RYS3nOMTkHnn10FUpgrade naar KadastraleKaart Pro
onmUz6G66mGnNSI gWLrUUpgrade naar KadastraleKaart Pro
yUac2XNamOuOWMUpgrade naar KadastraleKaart Pro
gJ3etDGi7T1RQ rjMEjfF6TUpgrade naar KadastraleKaart Pro
yTdg0glWzfiqbuEWGqEUpgrade naar KadastraleKaart Pro
1CtuY Cfdkh0BUpgrade naar KadastraleKaart Pro
jyH8y2YRcE1qZVnUpgrade naar KadastraleKaart Pro
x2GoqG7ZU7 Upgrade naar KadastraleKaart Pro
11/04/2006

Percelen
Gebruik de zoekbalk of klik op een perceel om informatie over het perceel te bekijken.