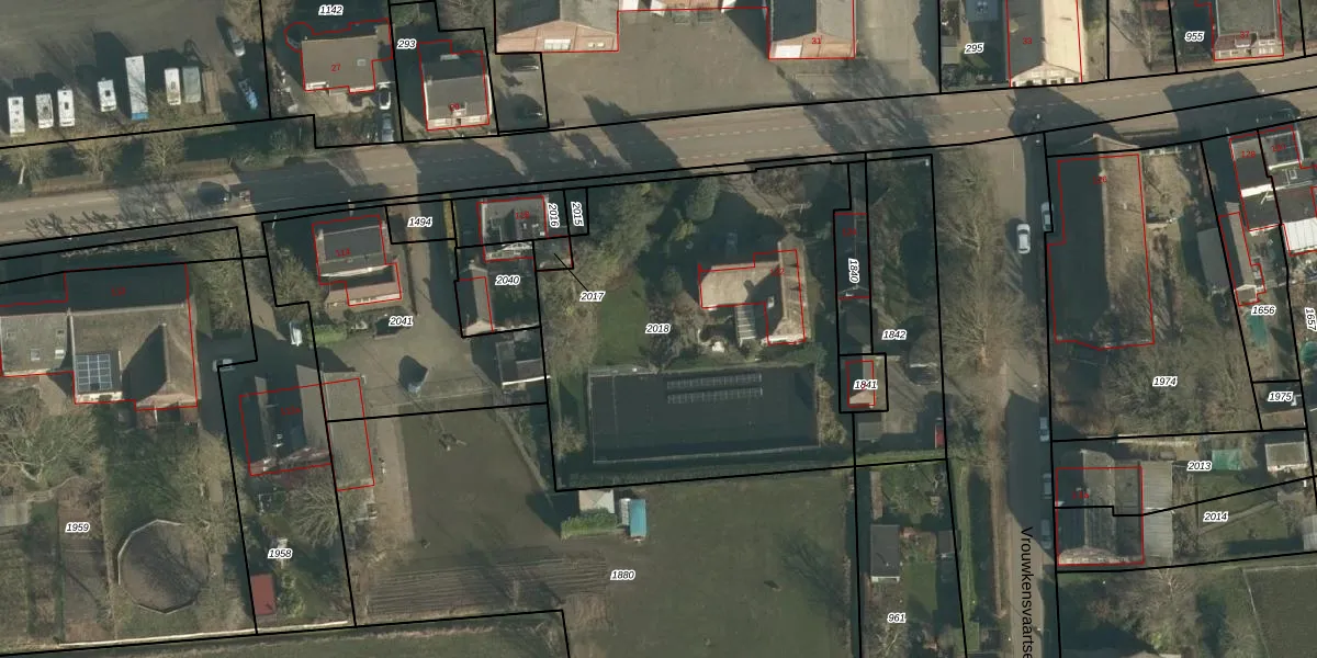
Perceel: WPK01-D-2018
KadastraleKaart.com kan meer dan je denktOntdek meer ›
Filter op bestemming 50+ datasets Eigendomsdata in één klik Percelen CRM
2.013 m2 - 191 m
Eigenaar opvragen
WPK01-D-2018 (Waspik)
- 5165 ND
2UK RWd Ze0MT7Z YDgLJWUpgrade naar KadastraleKaart Pro
Bekijk op Street View
Download DWG/DXF/Excel
ZGGcl 5FHO3JaUpgrade naar KadastraleKaart Pro
fKWBBss 865DRiGVHTUpgrade naar KadastraleKaart Pro
jj6u XzASUpgrade naar KadastraleKaart Pro
10r9bHYC1he2x1 MUJRkUpgrade naar KadastraleKaart Pro
Qqg8ltQuvgAa N0HUpgrade naar KadastraleKaart Pro
FcMsR033Upgrade naar KadastraleKaart Pro
NXW23o3TUpgrade naar KadastraleKaart Pro
25cS2O rfUffgpfqJR6QwCUpgrade naar KadastraleKaart Pro
abEHvdo I4QtXKTn6Yy Upgrade naar KadastraleKaart Pro
HreM UiMUpgrade naar KadastraleKaart Pro
14/10/2021

Percelen
Gebruik de zoekbalk of klik op een perceel om informatie over het perceel te bekijken.