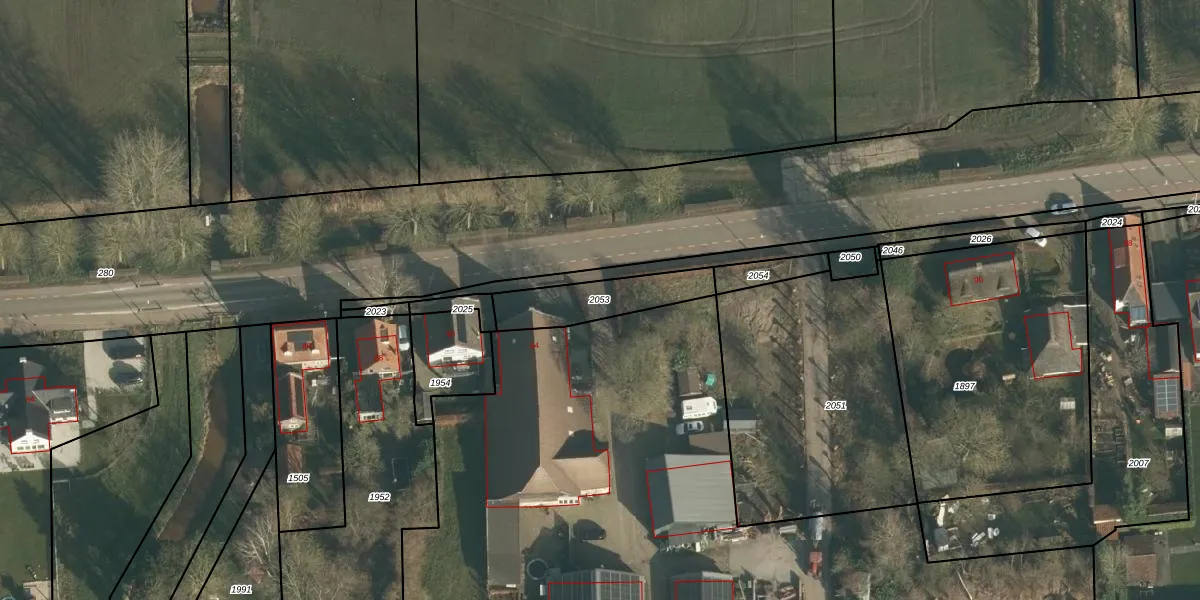
Perceel: WPK01-D-2053
KadastraleKaart.com kan meer dan je denktOntdek meer ›
Filter op bestemming 50+ datasets Eigendomsdata in één klik Percelen CRM
Geen adressen bij dit perceel
224 m2 - 85 m
Eigenaar opvragen
WPK01-D-2053 (Waspik)
- Geen postcode aanwezig
shbUIGxMy521V1nQq wDoxsC5Upgrade naar KadastraleKaart Pro
Bekijk op Street View
Download DWG/DXF/Excel
hpaX2 7UOFCespzfUpgrade naar KadastraleKaart Pro
TgccJ3 4 xBZwyvSgPmLBfUpgrade naar KadastraleKaart Pro
pNrZeyNr2h0mfAuFsjUpgrade naar KadastraleKaart Pro
xEhTgNlQz Ia8GUpgrade naar KadastraleKaart Pro
hTprc lzaUpgrade naar KadastraleKaart Pro
gLSO7v52qcKBUpgrade naar KadastraleKaart Pro
kv30arQcV0De2bUqpD2TUpgrade naar KadastraleKaart Pro
5mKInXxArvBoW4bYUpgrade naar KadastraleKaart Pro
l706MiNhP3Upgrade naar KadastraleKaart Pro
C 1WJUMC0tH4w4oVmUpgrade naar KadastraleKaart Pro
13/06/2024

Percelen
Gebruik de zoekbalk of klik op een perceel om informatie over het perceel te bekijken.