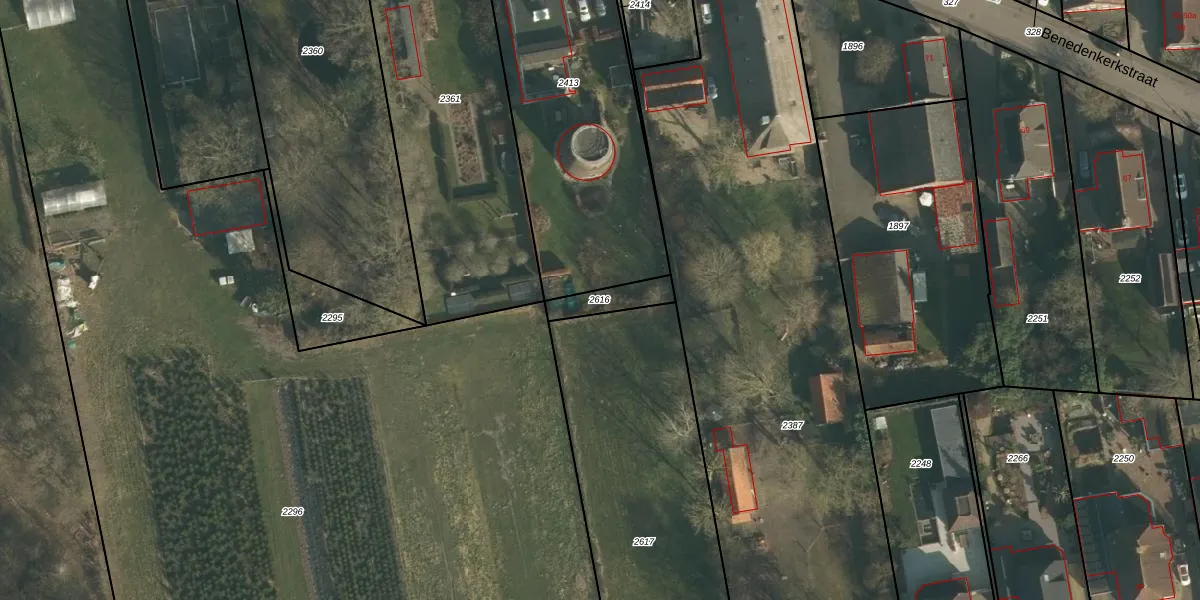
Perceel: WPK01-F-2616
KadastraleKaart.com kan meer dan je denktOntdek meer ›
Filter op bestemming 50+ datasets Eigendomsdata in één klik Percelen CRM
Geen adressen bij dit perceel
87 m2 - 51 m
Eigenaar opvragen
WPK01-F-2616 (Waspik)
- Geen postcode aanwezig
JBj15sn pDkIokg7qPHrR07KfIoyI Upgrade naar KadastraleKaart Pro
Bekijk op Street View
Download DWG/DXF/Excel
ldVqKB3tUpgrade naar KadastraleKaart Pro
D x6xCc6SBw5PwkUpgrade naar KadastraleKaart Pro
oQm745WIb i8jp9Upgrade naar KadastraleKaart Pro
jI 83URbcmtt R3PUpgrade naar KadastraleKaart Pro
XtT8n5XRY4uWE qYzUpgrade naar KadastraleKaart Pro
Dm5pC3 KM t4mb5OWUpgrade naar KadastraleKaart Pro
6rZK7 mxUpgrade naar KadastraleKaart Pro
IbsF9omZG 83VpVVUpgrade naar KadastraleKaart Pro
GKIG42XlnZO1ERK aJzGmiKUpgrade naar KadastraleKaart Pro
N BW9U2xdUpgrade naar KadastraleKaart Pro
12/05/2022

Percelen
Gebruik de zoekbalk of klik op een perceel om informatie over het perceel te bekijken.