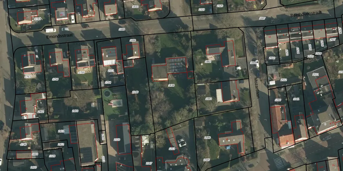
Perceel: WPK01-G-1438
KadastraleKaart.com kan meer dan je denktOntdek meer ›
Filter op bestemming 50+ datasets Eigendomsdata in één klik Percelen CRM
1.465 m2 - 162 m
Eigenaar opvragen
WPK01-G-1438 (Waspik)
- 5165 CS
YcwWAQ tFA0QvOjPfPeWuDQqDfUpgrade naar KadastraleKaart Pro
Bekijk op Street View
Download DWG/DXF/Excel
6C01GQHSevGIh RUpgrade naar KadastraleKaart Pro
ZuGBYDv tUpgrade naar KadastraleKaart Pro
J BKrW QUpgrade naar KadastraleKaart Pro
9HghDReNQJ3lKTADEUpgrade naar KadastraleKaart Pro
ruAZpVO0pYzPme5ekUpgrade naar KadastraleKaart Pro
KYCiA2rIDD3h92kDHKiirUpgrade naar KadastraleKaart Pro
WuN7C11WkUpgrade naar KadastraleKaart Pro
jV HTomyf2Upgrade naar KadastraleKaart Pro
UKnTIwIFln noUpgrade naar KadastraleKaart Pro
ebYnvn WLOu6Upgrade naar KadastraleKaart Pro
29/10/2008

Percelen
Gebruik de zoekbalk of klik op een perceel om informatie over het perceel te bekijken.