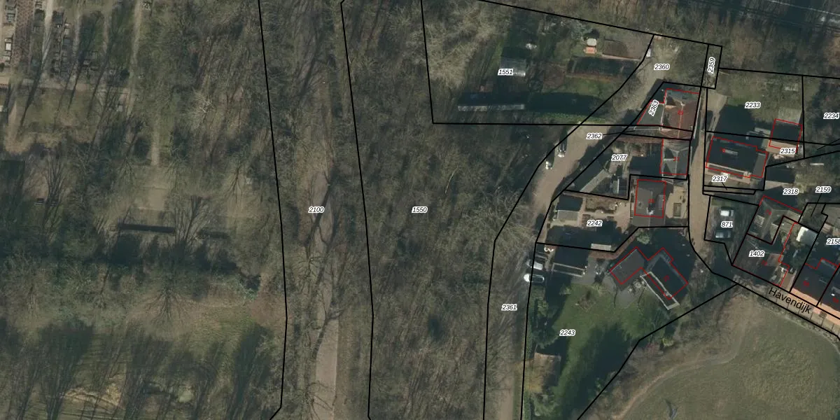
Perceel: WPK01-G-1550
KadastraleKaart.com kan meer dan je denktOntdek meer ›
Filter op bestemming 50+ datasets Eigendomsdata in één klik Percelen CRM
Geen adressen bij dit perceel
3.240 m2 - 311 m
Eigenaar opvragen
WPK01-G-1550 (Waspik)
- Geen postcode aanwezig
kX3FW u Ak PMM3 wBg vzbLehJKKV Upgrade naar KadastraleKaart Pro
Bekijk op Street View
Download DWG/DXF/Excel
vVNeNo9 qma1ZsZi92C Upgrade naar KadastraleKaart Pro
Oi68 Gx73sO2 GyTaFc9Upgrade naar KadastraleKaart Pro
3Hbe zZu4F9AUpgrade naar KadastraleKaart Pro
SZkpFeT7gkFUpgrade naar KadastraleKaart Pro
0y zA4L5 yOnSpUpgrade naar KadastraleKaart Pro
Y H L9BfBl4wF6Upgrade naar KadastraleKaart Pro
IJZ8HSkm9F8oOPG Upgrade naar KadastraleKaart Pro
rqbbl4xlUpgrade naar KadastraleKaart Pro
E 8HuwzxS3sotNb mrgUpgrade naar KadastraleKaart Pro
KpODEFnes3Yv 4Upgrade naar KadastraleKaart Pro
01/03/2006

Percelen
Gebruik de zoekbalk of klik op een perceel om informatie over het perceel te bekijken.