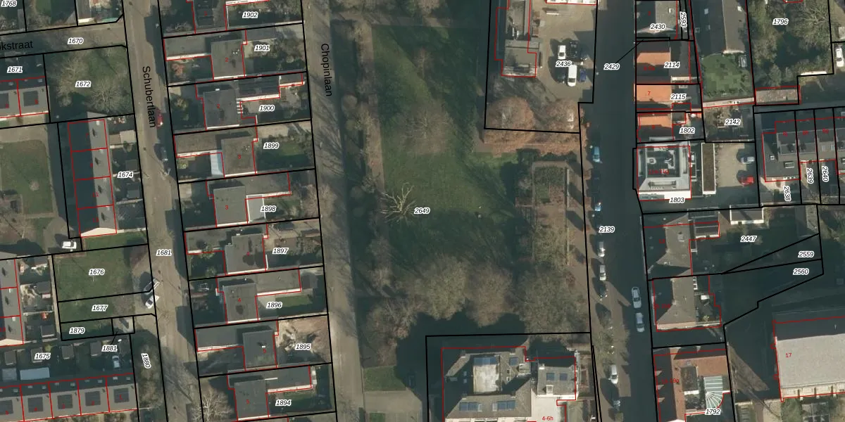
Perceel: WPK01-G-2649
KadastraleKaart.com kan meer dan je denktOntdek meer ›
Filter op bestemming 50+ datasets Eigendomsdata in één klik Percelen CRM
Geen adressen bij dit perceel
5.548 m2 - 463 m
Eigenaar opvragen
WPK01-G-2649 (Waspik)
- Geen postcode aanwezig
2PqQVcde9 a wikJlQwH1QuUpgrade naar KadastraleKaart Pro
Bekijk op Street View
Download DWG/DXF/Excel
vA22giSLwHulje7q uJtUpgrade naar KadastraleKaart Pro
omCdO6i uXwiAr8JUpgrade naar KadastraleKaart Pro
B S6JsqBHW7om3Upgrade naar KadastraleKaart Pro
REi2Zdm ma9RlIfiQxUpgrade naar KadastraleKaart Pro
Z gXZFfDb5L SyERUpgrade naar KadastraleKaart Pro
5MgMlg2 cln i WZYeUpgrade naar KadastraleKaart Pro
yehc9GOH0CKv1J0zTaxM3BgUpgrade naar KadastraleKaart Pro
KfhxD 7J8SE clWUpgrade naar KadastraleKaart Pro
8y3FmSogx73 Z7JkuedcUpgrade naar KadastraleKaart Pro
S rrFzDw c77y TP09Upgrade naar KadastraleKaart Pro
11/10/2024

Percelen
Gebruik de zoekbalk of klik op een perceel om informatie over het perceel te bekijken.