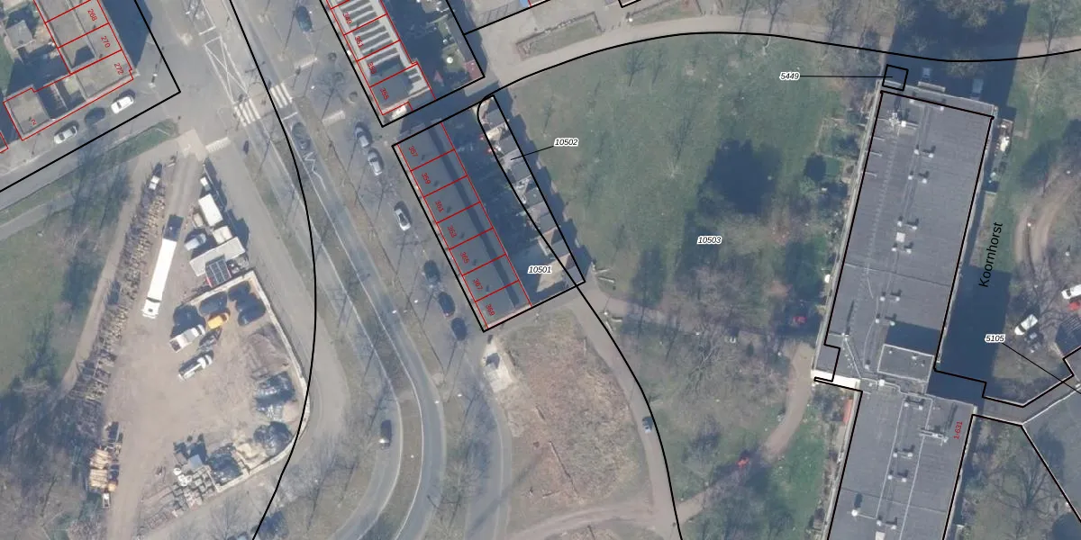
Perceel: WPK02-L-10501
KadastraleKaart.com kan meer dan je denktOntdek meer ›
Filter op bestemming 50+ datasets Eigendomsdata in één klik Percelen CRM
660 m2 - 115 m
Eigenaar opvragen
WPK02-L-10501 (Weesperkarspel)
- 1104 DN
FZVzOjkpIm6KrZ EkGqzBW ffUpgrade naar KadastraleKaart Pro
Bekijk op Street View
Download DWG/DXF/Excel
HErNstEHaOm3ynwjUpgrade naar KadastraleKaart Pro
f3w 7BUJQgUpgrade naar KadastraleKaart Pro
tncHASXGW50EqtNbmaUpgrade naar KadastraleKaart Pro
oQPG0UEN7z7Upgrade naar KadastraleKaart Pro
QaZngaqte4WCF8huUpgrade naar KadastraleKaart Pro
63I6dde pnUpgrade naar KadastraleKaart Pro
medZd BtUpgrade naar KadastraleKaart Pro
SKmgFHYFdgFaUjr8agO8Upgrade naar KadastraleKaart Pro
U6zBSk9U2 KV Bos88Hk ksUpgrade naar KadastraleKaart Pro
riSQ1IEoVsZw1Upgrade naar KadastraleKaart Pro
04/02/2011

Percelen
Gebruik de zoekbalk of klik op een perceel om informatie over het perceel te bekijken.