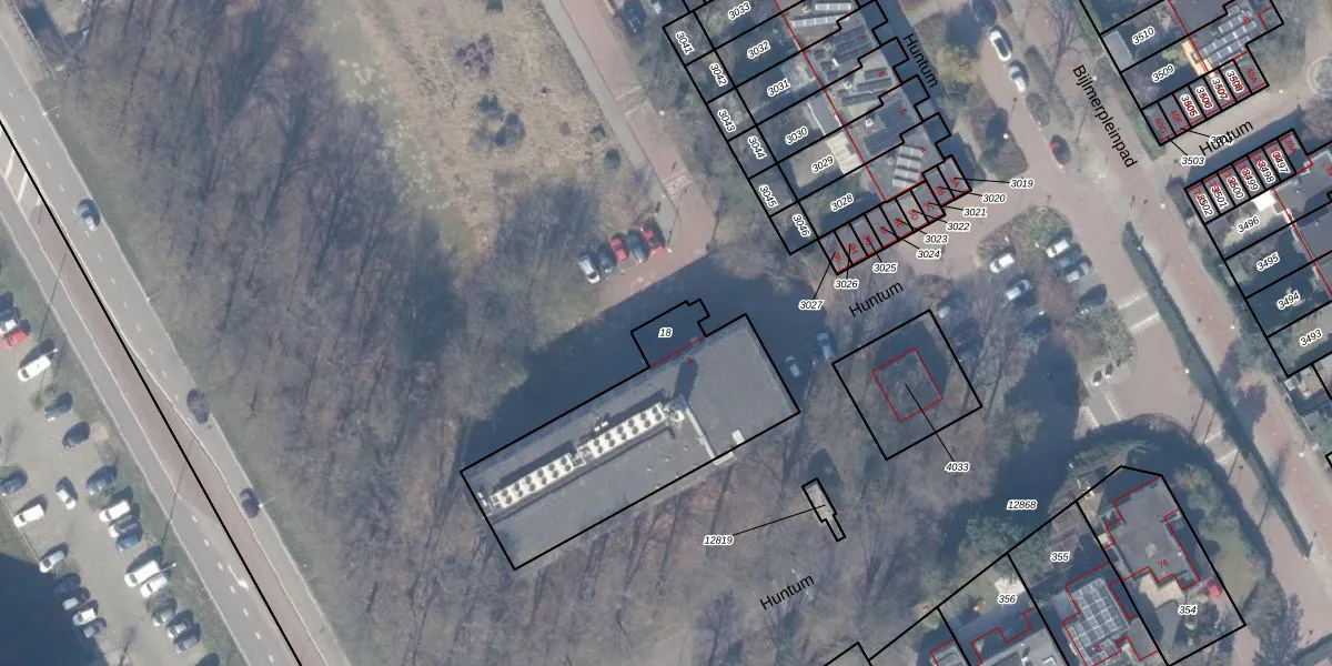
Perceel: WPK02-L-18
KadastraleKaart.com kan meer dan je denktOntdek meer ›
Filter op bestemming 50+ datasets Eigendomsdata in één klik Percelen CRM
885 m2 - 147 m
Eigenaar opvragen
WPK02-L-18 (Weesperkarspel)
- 1102 JA
EsmZL5GrtKNth3gqunWzUpgrade naar KadastraleKaart Pro
Bekijk op Street View
Download DWG/DXF/Excel
2vm7CxK98Xy IHUpgrade naar KadastraleKaart Pro
oH SeyJVBvvXFUpgrade naar KadastraleKaart Pro
W0qNV5JzSyKZj 1fiUpgrade naar KadastraleKaart Pro
SHlRK4O7A6yqUpgrade naar KadastraleKaart Pro
6grf249HQJLdtsL kuF2yUpgrade naar KadastraleKaart Pro
10AlD6VE3E4Upgrade naar KadastraleKaart Pro
12 WX4gsbP56JD Upgrade naar KadastraleKaart Pro
EK F7gsc2qWe67aPidHUpgrade naar KadastraleKaart Pro
jPK ZZQkfMhukPkZUpgrade naar KadastraleKaart Pro
gz6iKuroTJN0VE zUpgrade naar KadastraleKaart Pro
14/11/2000

Percelen
Gebruik de zoekbalk of klik op een perceel om informatie over het perceel te bekijken.