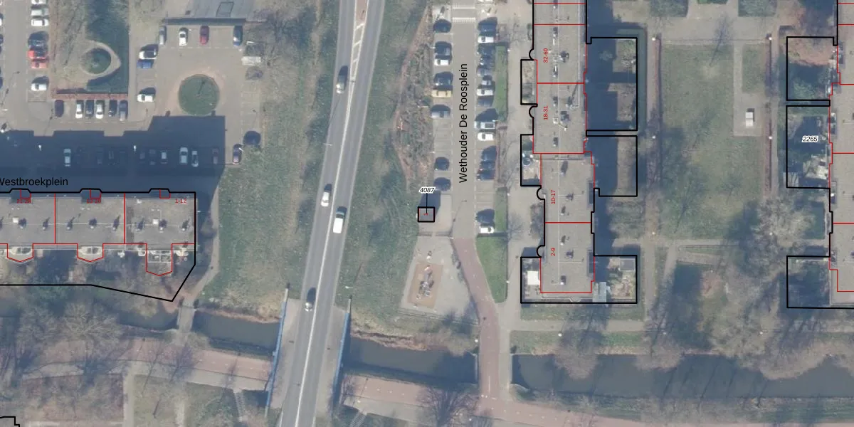
Perceel: WPK02-L-4087
KadastraleKaart.com kan meer dan je denktOntdek meer ›
Filter op bestemming 50+ datasets Eigendomsdata in één klik Percelen CRM
13 m2 - 14 m
Eigenaar opvragen
WPK02-L-4087 (Weesperkarspel)
- Geen postcode aanwezig
SMMM0i3pp3ivvTXIbaH3yC6Upgrade naar KadastraleKaart Pro
Bekijk op Street View
Download DWG/DXF/Excel
HG6cHIei9HSrkTZxIUpgrade naar KadastraleKaart Pro
QdZQ0y PLGWVDezyskT Upgrade naar KadastraleKaart Pro
YGbJ L8 yIiUpgrade naar KadastraleKaart Pro
Fi jXoLCLW7 zBplPpmUpgrade naar KadastraleKaart Pro
CS vqcfWu7hzPxkWUpgrade naar KadastraleKaart Pro
vMbd3lcS1qYNUpgrade naar KadastraleKaart Pro
g4Y lLq2YZLG0 JRFoYXXUpgrade naar KadastraleKaart Pro
GpK9kh2CL7ffgmblLYkUpgrade naar KadastraleKaart Pro
VzZhhiMtCd9vOwFzEymAUpgrade naar KadastraleKaart Pro
mh7Ombvzf z8fHUpgrade naar KadastraleKaart Pro
21/07/2009

Percelen
Gebruik de zoekbalk of klik op een perceel om informatie over het perceel te bekijken.