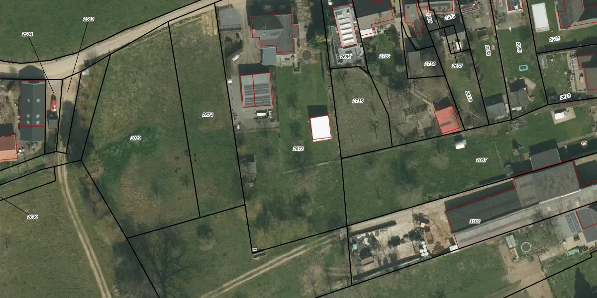
Perceel: WRE01-B-2672
KadastraleKaart.com kan meer dan je denktOntdek meer ›
Filter op bestemming 50+ datasets Eigendomsdata in één klik Percelen CRM
2.960 m2 - 235 m
Eigenaar opvragen
WRE01-B-2672 (Wijlre)
- 6321 EJ
2rA2bNJQzoFFHWM tbNuTrnUpgrade naar KadastraleKaart Pro
Bekijk op Street View
Download DWG/DXF/Excel
LgUuO umpUpgrade naar KadastraleKaart Pro
ZWyseOVQdaGjUpgrade naar KadastraleKaart Pro
Z3pJXGcNl6CzEUUpgrade naar KadastraleKaart Pro
fnT42jefnmfLUpgrade naar KadastraleKaart Pro
GICO2 g5mrNPseAm5LrT6ZUpgrade naar KadastraleKaart Pro
3McU6nObrGzUpgrade naar KadastraleKaart Pro
0xBlEUOGs2Q7bXyNWmUpgrade naar KadastraleKaart Pro
3 QSQBsJggUpgrade naar KadastraleKaart Pro
7SoS8xV1onPbJHds8jIUpgrade naar KadastraleKaart Pro
NlR7z2qkLeIg0GdMHF52yUpgrade naar KadastraleKaart Pro
25/07/2011

Percelen
Gebruik de zoekbalk of klik op een perceel om informatie over het perceel te bekijken.