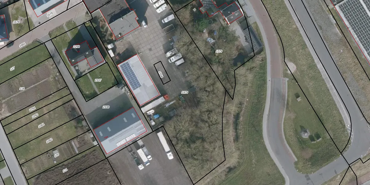
Perceel: WRG01-F-1979
KadastraleKaart.com kan meer dan je denktOntdek meer ›
Filter op bestemming 50+ datasets Eigendomsdata in één klik Percelen CRM
Geen adressen bij dit perceel
4.123 m2 - 332 m
Eigenaar opvragen
WRG01-F-1979 (Wieringen)
- Geen postcode aanwezig
DGQxgHanbJzcQsUMA2RTmTYpbQvUpgrade naar KadastraleKaart Pro
Bekijk op Street View
Download DWG/DXF/Excel
51EmFBN577Fy7Upgrade naar KadastraleKaart Pro
pVYnEmhSGzIqYF MbTTERq8Upgrade naar KadastraleKaart Pro
8bF Z jzBwYMM 3Upgrade naar KadastraleKaart Pro
xfIcBRebmPcDlUpgrade naar KadastraleKaart Pro
0c 6NwXHrpUpgrade naar KadastraleKaart Pro
zxJbNveAjE0 h4oARK62Upgrade naar KadastraleKaart Pro
vw8YcqO EAUpgrade naar KadastraleKaart Pro
0ka1bFbkk5VtUpgrade naar KadastraleKaart Pro
tF8K sWA Xz1djp84NSkUpgrade naar KadastraleKaart Pro
8J2 enJ1Qs3n eTq0e0fUpgrade naar KadastraleKaart Pro
12/02/2007

Percelen
Gebruik de zoekbalk of klik op een perceel om informatie over het perceel te bekijken.