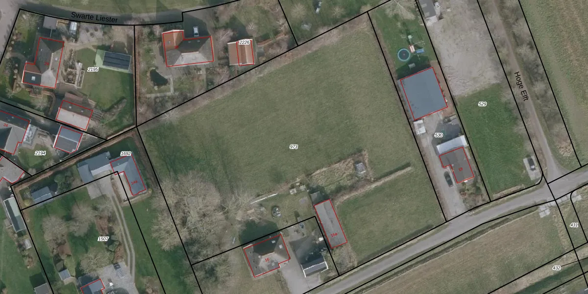
Perceel: WRG01-F-973
KadastraleKaart.com kan meer dan je denktOntdek meer ›
Filter op bestemming 50+ datasets Eigendomsdata in één klik Percelen CRM
5.546 m2 - 323 m
Eigenaar opvragen
WRG01-F-973 (Wieringen)
- Geen postcode aanwezig
RbTLZq 2mNrJabYeHeLsGNUpgrade naar KadastraleKaart Pro
Bekijk op Street View
Download DWG/DXF/Excel
jZGozP phv MUv28sUpgrade naar KadastraleKaart Pro
hY7hgKSCLCkRU Upgrade naar KadastraleKaart Pro
xpivC303 Xp8EdE7WUpgrade naar KadastraleKaart Pro
UGXrPfQP11tUpgrade naar KadastraleKaart Pro
KDZixjArGShOUpgrade naar KadastraleKaart Pro
QDpGZKMVhwyUpgrade naar KadastraleKaart Pro
52TEyb4LxTi8188vWqwET1Upgrade naar KadastraleKaart Pro
uyko61EnDIkOPUpgrade naar KadastraleKaart Pro
HHGOpRLJaIqUxmbMp PvUpgrade naar KadastraleKaart Pro
fWt33js9 l0Upgrade naar KadastraleKaart Pro
17/06/2009

Percelen
Gebruik de zoekbalk of klik op een perceel om informatie over het perceel te bekijken.