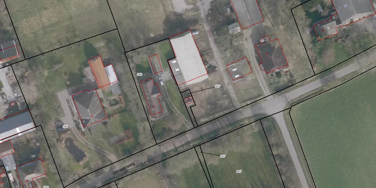
Perceel: WRG01-G-547
KadastraleKaart.com kan meer dan je denktOntdek meer ›
Filter op bestemming 50+ datasets Eigendomsdata in één klik Percelen CRM
67 m2 - 50 m
Eigenaar opvragen
WRG01-G-547 (Wieringen)
- Geen postcode aanwezig
f7YmAFes0SQr8lPkiU Upgrade naar KadastraleKaart Pro
Bekijk op Street View
Download DWG/DXF/Excel
ej7BN DeA rAbeUpgrade naar KadastraleKaart Pro
xj49ea8JMSWZ QDdXUpgrade naar KadastraleKaart Pro
WSN9ij0KUpgrade naar KadastraleKaart Pro
B0J5WBpsUpgrade naar KadastraleKaart Pro
pTYA qm GsFqqUpgrade naar KadastraleKaart Pro
ccTq 7SQtI 5UQpm 5oh 1Upgrade naar KadastraleKaart Pro
vc5z2jQM GvJNnBYyDYUpgrade naar KadastraleKaart Pro
NurWs8rH5GKEsCGxi58Upgrade naar KadastraleKaart Pro
25 UeKV LEIz Upgrade naar KadastraleKaart Pro
UNE5tMd5yUPMfcvGaJKy1Upgrade naar KadastraleKaart Pro
23/05/2008

Percelen
Gebruik de zoekbalk of klik op een perceel om informatie over het perceel te bekijken.