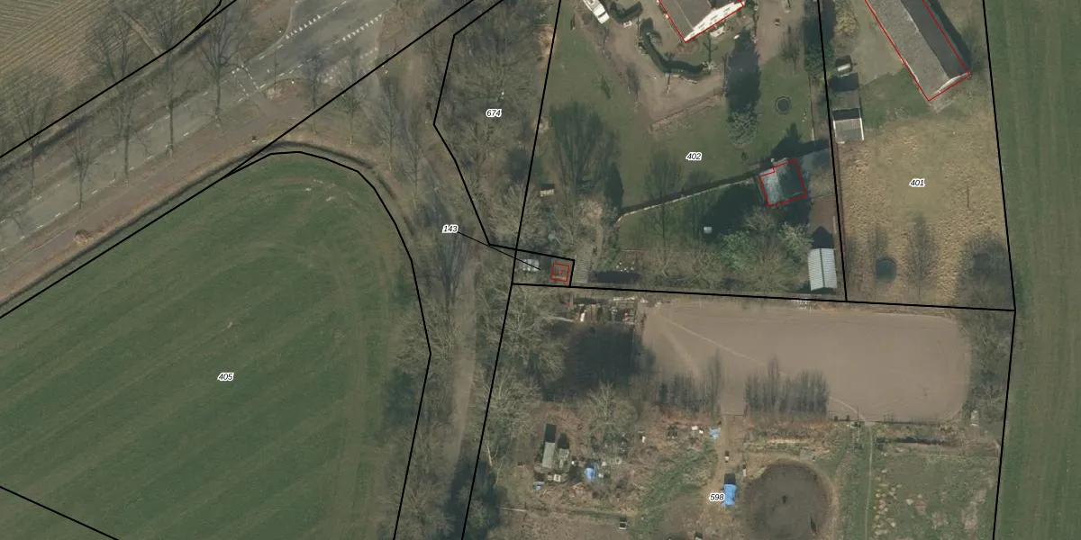
Perceel: WRJ00-H-143
KadastraleKaart.com kan meer dan je denktOntdek meer ›
Filter op bestemming 50+ datasets Eigendomsdata in één klik Percelen CRM
60 m2 - 33 m
Eigenaar opvragen
WRJ00-H-143 (Wanroij)
- Geen postcode aanwezig
TBs KU2gi4f rkIyLm4uKxUpgrade naar KadastraleKaart Pro
Bekijk op Street View
Download DWG/DXF/Excel
z QLJ0S6BtUpgrade naar KadastraleKaart Pro
HZujoI ueanJpIOBtVhUpgrade naar KadastraleKaart Pro
xUW1p5IDfpg8 sUpgrade naar KadastraleKaart Pro
83sq 7o FEomTaZe4LUpgrade naar KadastraleKaart Pro
PQx QM4bBz7e8lcO pEq5dFUpgrade naar KadastraleKaart Pro
vN uvPTK y5mFn QUpgrade naar KadastraleKaart Pro
w9 P IPgbnrKoUpgrade naar KadastraleKaart Pro
ExxqAuE0KBnB 50N9eVuvHUpgrade naar KadastraleKaart Pro
Dfz L 6DqvrhUpgrade naar KadastraleKaart Pro
xY159HWE F9NUpgrade naar KadastraleKaart Pro
18/06/2007

Percelen
Gebruik de zoekbalk of klik op een perceel om informatie over het perceel te bekijken.