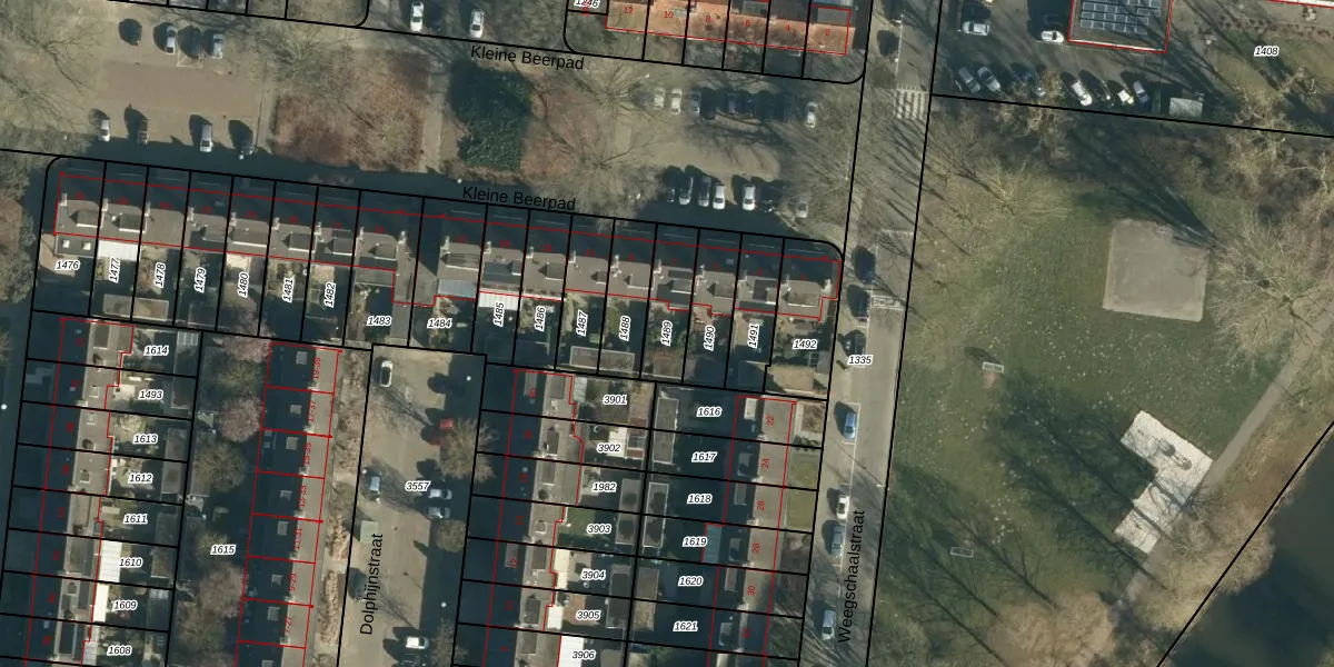
Perceel: WSL01-C-1489
151 m2 - 60 m
Eigenaar opvragen
WSL01-C-1489 (Woensel)
- 5632 JH
Wf4sLDfC klOYodScS 9tOlio4HoEwUpgrade naar KadastraleKaart Pro
Bekijk op Street View
Download DWG/DXF/Excel
EVYgPj8NTv5JhUpgrade naar KadastraleKaart Pro
xkZQoHEpx3rmFe MGImmVOUpgrade naar KadastraleKaart Pro
xzvlHTrKzcGtA9y1srUpgrade naar KadastraleKaart Pro
hDexhXgH20 g ulUpgrade naar KadastraleKaart Pro
sTtko4FIG76y27egEtQ2Upgrade naar KadastraleKaart Pro
PBbl5JFcJjzpM1qNfgKUkFUpgrade naar KadastraleKaart Pro
MtRd 3Azo4Xx0rYUpgrade naar KadastraleKaart Pro
5vpWI3 qHUpgrade naar KadastraleKaart Pro
W L7YDiVqFoErR6jMwX9xMcUpgrade naar KadastraleKaart Pro
NLXlM42Mbqz36XX7Upgrade naar KadastraleKaart Pro
25/04/2006

Percelen
Gebruik de zoekbalk of klik op een perceel om informatie over het perceel te bekijken.