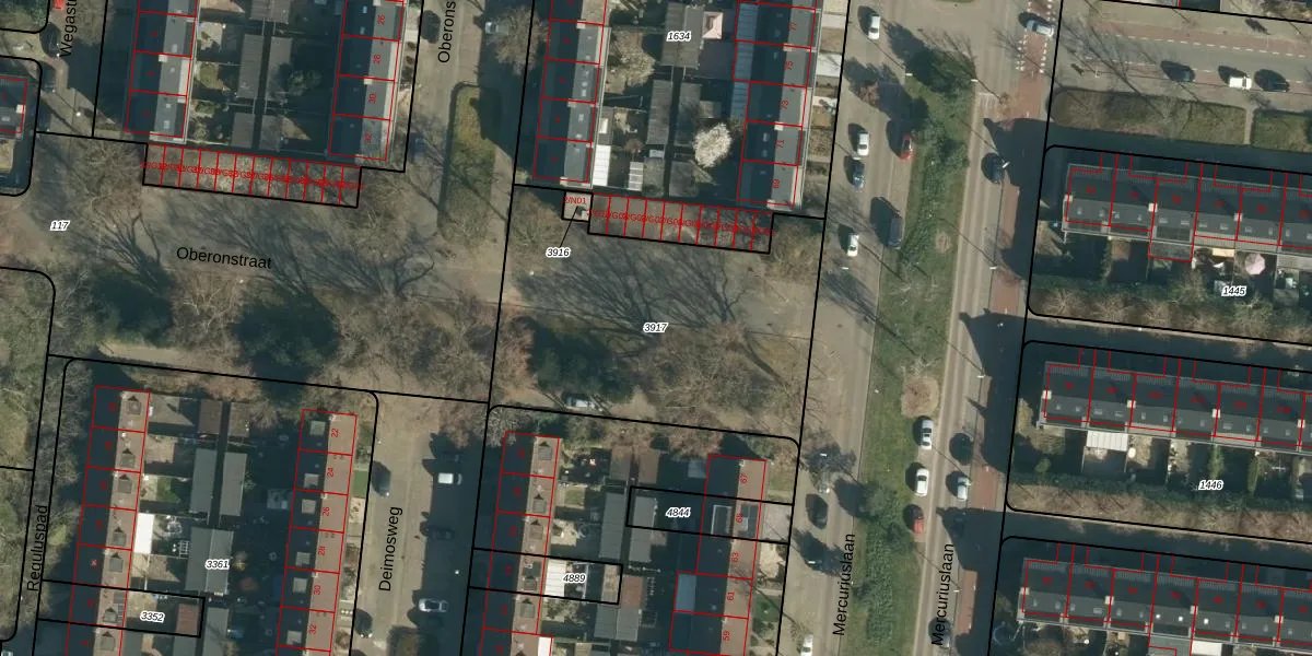
Perceel: WSL01-C-3917
KadastraleKaart.com kan meer dan je denktOntdek meer ›
Filter op bestemming 50+ datasets Eigendomsdata in één klik Percelen CRM
Geen adressen bij dit perceel
1.430 m2 - 181 m
Eigenaar opvragen
WSL01-C-3917 (Woensel)
- Geen postcode aanwezig
Z kpEYNP3tKXoAl14XUpgrade naar KadastraleKaart Pro
Bekijk op Street View
Download DWG/DXF/Excel
SsHFKM2JPofzUpgrade naar KadastraleKaart Pro
qiXQe1ujcWKXpkUIXgcMkUpgrade naar KadastraleKaart Pro
KWuwcjPD2ZtpUpgrade naar KadastraleKaart Pro
cBNzCxwiBk5Upgrade naar KadastraleKaart Pro
6MLPR y1q58X9Xl2W 8i4VKUpgrade naar KadastraleKaart Pro
YNMWvog9nOr4NUpgrade naar KadastraleKaart Pro
Lupag3Bf4CUpgrade naar KadastraleKaart Pro
DW rx6P6qCNMUpgrade naar KadastraleKaart Pro
auqzNCWs oxUpgrade naar KadastraleKaart Pro
FCzBVkNCyDqchp t43F8kx0Upgrade naar KadastraleKaart Pro
13/04/2006

Percelen
Gebruik de zoekbalk of klik op een perceel om informatie over het perceel te bekijken.