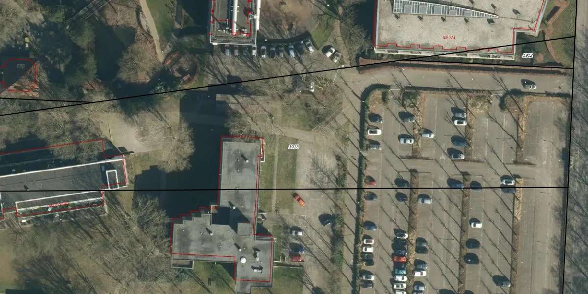
Perceel: WSL01-K-1913
KadastraleKaart.com kan meer dan je denktOntdek meer ›
Filter op bestemming 50+ datasets Eigendomsdata in één klik Percelen CRM
7.852 m2 - 514 m
Eigenaar opvragen
WSL01-K-1913 (Woensel)
- 5631 BM
DbRVnqhECtCPY3 0iZUTIrb3aCs3Upgrade naar KadastraleKaart Pro
Bekijk op Street View
Download DWG/DXF/Excel
jJg5BlPPb UBIkyI Cw M68Upgrade naar KadastraleKaart Pro
i86QJtXUCqtp3RnvzBUpgrade naar KadastraleKaart Pro
jMZsQmGgMv9dyofUpgrade naar KadastraleKaart Pro
KcPQS5 XXEUpgrade naar KadastraleKaart Pro
g5v3DboC2M A748XHUpgrade naar KadastraleKaart Pro
C15uzjQ7uYO9GtNIVEstc Upgrade naar KadastraleKaart Pro
A8gU 3nF Tb1 SadUpgrade naar KadastraleKaart Pro
xhvMQ3sCCoUpgrade naar KadastraleKaart Pro
OaVNMeN4qe9Upgrade naar KadastraleKaart Pro
4zlp E97YErqOMmRbUpgrade naar KadastraleKaart Pro
27/07/2010

Percelen
Gebruik de zoekbalk of klik op een perceel om informatie over het perceel te bekijken.