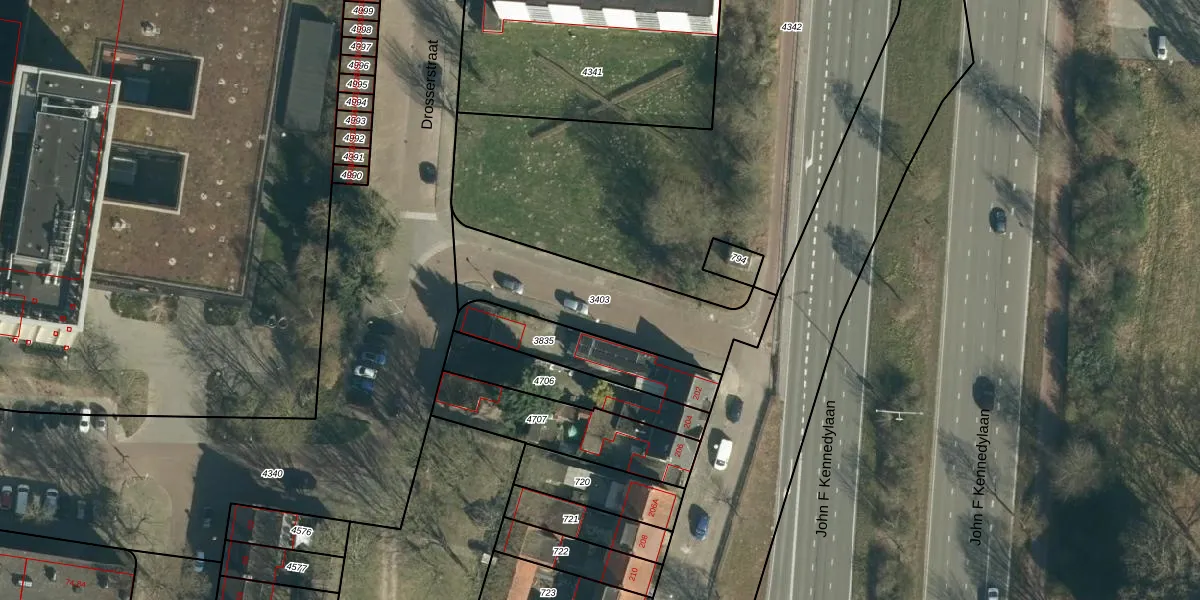
Perceel: WSL01-L-3403
KadastraleKaart.com kan meer dan je denktOntdek meer ›
Filter op bestemming 50+ datasets Eigendomsdata in één klik Percelen CRM
Geen adressen bij dit perceel
580 m2 - 144 m
Eigenaar opvragen
WSL01-L-3403 (Woensel)
- Geen postcode aanwezig
IxND90R ZVR5OEcqsUpgrade naar KadastraleKaart Pro
Bekijk op Street View
Download DWG/DXF/Excel
CGX5LZcKAvI1Upgrade naar KadastraleKaart Pro
StmiBG1wWZ3Upgrade naar KadastraleKaart Pro
sMm WXFoa8EpUpgrade naar KadastraleKaart Pro
0QpUld JUpgrade naar KadastraleKaart Pro
rF9hQbYdJYLYJVrgcUpgrade naar KadastraleKaart Pro
6Put4VWZy7m9OuEg7DBUpgrade naar KadastraleKaart Pro
xqhG kpNOmGhAlUpgrade naar KadastraleKaart Pro
kUonCyizNpsMLBRl55RnUpgrade naar KadastraleKaart Pro
upeZ Db uWzIuN0gHnltfUpgrade naar KadastraleKaart Pro
ze 9W3J028Upgrade naar KadastraleKaart Pro
12/04/2006

Percelen
Gebruik de zoekbalk of klik op een perceel om informatie over het perceel te bekijken.