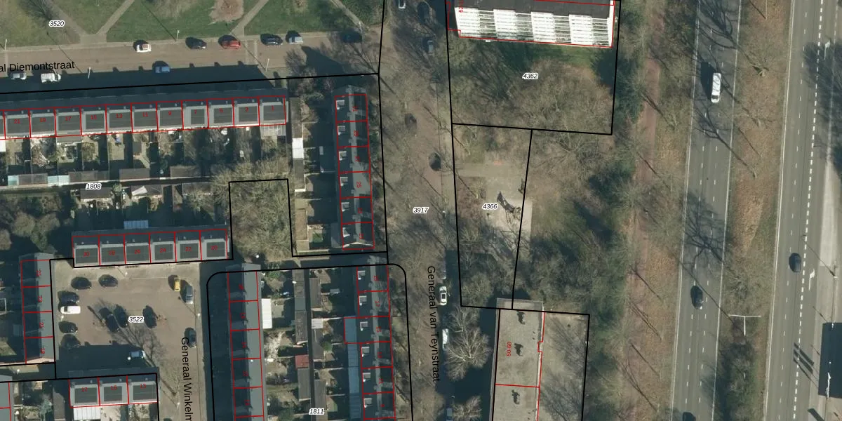
Perceel: WSL01-L-3917
KadastraleKaart.com kan meer dan je denktOntdek meer ›
Filter op bestemming 50+ datasets Eigendomsdata in één klik Percelen CRM
Geen adressen bij dit perceel
4.099 m2 - 599 m
Eigenaar opvragen
WSL01-L-3917 (Woensel)
- Geen postcode aanwezig
roTwxW7e1o KBpb 2DvnZ7jmwhkyE0Upgrade naar KadastraleKaart Pro
Bekijk op Street View
Download DWG/DXF/Excel
tbxKuR fsgXPZw XOUv83FUpgrade naar KadastraleKaart Pro
U87IEB0UITEUpgrade naar KadastraleKaart Pro
CdQFRLR l6rTUpgrade naar KadastraleKaart Pro
a wp SH38NNAh4rZUpgrade naar KadastraleKaart Pro
jR5GTHbAJ 3y AWMdk0BUpgrade naar KadastraleKaart Pro
Tp4W00wj8FkU7CwQSJKw9Upgrade naar KadastraleKaart Pro
hRKOHG5BbXH mVIyRxUpgrade naar KadastraleKaart Pro
H7SvJdk7d m k1Cggsks3Upgrade naar KadastraleKaart Pro
9YdKV 77WjG0r52XLCeUpgrade naar KadastraleKaart Pro
IqMml EFfsqAeUpgrade naar KadastraleKaart Pro
12/04/2006

Percelen
Gebruik de zoekbalk of klik op een perceel om informatie over het perceel te bekijken.