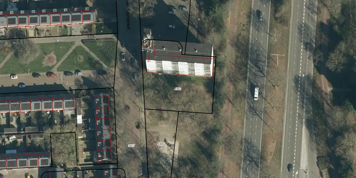
Perceel: WSL01-L-4362
KadastraleKaart.com kan meer dan je denktOntdek meer ›
Filter op bestemming 50+ datasets Eigendomsdata in één klik Percelen CRM
1.435 m2 - 155 m
Eigenaar opvragen
WSL01-L-4362 (Woensel)
- 5623 HP -5623 HR
5pKMTcWo9Z vmm5HSd6whUpgrade naar KadastraleKaart Pro
Verkoopprijs opvragen
Bekijk op Street View
Download DWG/DXF/Excel
FTFdts8sfw5NnIaY zLTUpgrade naar KadastraleKaart Pro
7Ja K3lloUpgrade naar KadastraleKaart Pro
rD2 AoG ZRUpgrade naar KadastraleKaart Pro
lmw4kP9YLQ6xP vUpgrade naar KadastraleKaart Pro
qUGxt VjwTK u5Upgrade naar KadastraleKaart Pro
b0qA vS3rob0c3r nKWrKFUpgrade naar KadastraleKaart Pro
UT9 m58WfFUpgrade naar KadastraleKaart Pro
04GOlcJ08tVkTHNLK3EgCUpgrade naar KadastraleKaart Pro
wuUBsc 3e hp nwIDIdTUpgrade naar KadastraleKaart Pro
A1FRVsHzOCgEEHUpgrade naar KadastraleKaart Pro
12/04/2006

Percelen
Gebruik de zoekbalk of klik op een perceel om informatie over het perceel te bekijken.