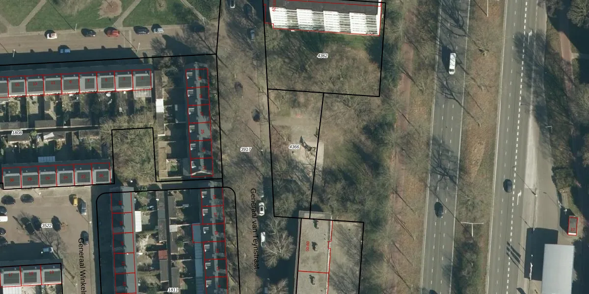
Perceel: WSL01-L-4366
KadastraleKaart.com kan meer dan je denktOntdek meer ›
Filter op bestemming 50+ datasets Eigendomsdata in één klik Percelen CRM
Geen adressen bij dit perceel
650 m2 - 118 m
Eigenaar opvragen
WSL01-L-4366 (Woensel)
- Geen postcode aanwezig
cvJCZbeGsBXVOV AxUpgrade naar KadastraleKaart Pro
Bekijk op Street View
Download DWG/DXF/Excel
dLr94G7rhAwZtJ jUpgrade naar KadastraleKaart Pro
j Q8tciabj6wH34sFNB Upgrade naar KadastraleKaart Pro
ys Ik bA4cj8bUpgrade naar KadastraleKaart Pro
KDBiL NjNkkI RLu9W6DUpgrade naar KadastraleKaart Pro
msTSBMD ZUpgrade naar KadastraleKaart Pro
NPlU4 cuM0AByaF2PrWZGjUpgrade naar KadastraleKaart Pro
4QuuChjRjeptJOD2Upgrade naar KadastraleKaart Pro
yzz XPCU7HLK64Upgrade naar KadastraleKaart Pro
XiNJM oxPwz9 7DSXUpgrade naar KadastraleKaart Pro
sOcqRA2U EPDPL1Upgrade naar KadastraleKaart Pro
12/04/2006

Percelen
Gebruik de zoekbalk of klik op een perceel om informatie over het perceel te bekijken.