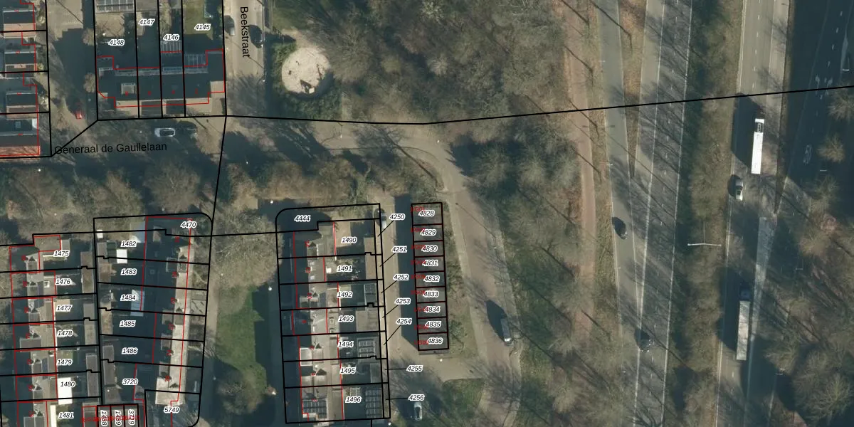
Perceel: WSL01-L-4828
KadastraleKaart.com kan meer dan je denktOntdek meer ›
Filter op bestemming 50+ datasets Eigendomsdata in één klik Percelen CRM
35 m2 - 24 m
Eigenaar opvragen
WSL01-L-4828 (Woensel)
- Geen postcode aanwezig
EBV0h9iprheY6YRrFozAEZ QQX4MA5kUpgrade naar KadastraleKaart Pro
Bekijk op Street View
Download DWG/DXF/Excel
HKKfrgq48FohSwCjGHnUpgrade naar KadastraleKaart Pro
fm gnqgj0HA0dUpgrade naar KadastraleKaart Pro
9wwtb4FI aEpUpgrade naar KadastraleKaart Pro
eZm2pteY3cXkCc7yUpgrade naar KadastraleKaart Pro
Qc 1pPwaK6tUpgrade naar KadastraleKaart Pro
6i rNblmcR9miDUpgrade naar KadastraleKaart Pro
5dFNw1YFTB8F NOu6f OUpgrade naar KadastraleKaart Pro
ObBJT f9Uc9zUpgrade naar KadastraleKaart Pro
Eow8nvC9ZUpgrade naar KadastraleKaart Pro
YJkavPkEBC T0eEbuxfIIUpgrade naar KadastraleKaart Pro
13/04/2006

Percelen
Gebruik de zoekbalk of klik op een perceel om informatie over het perceel te bekijken.