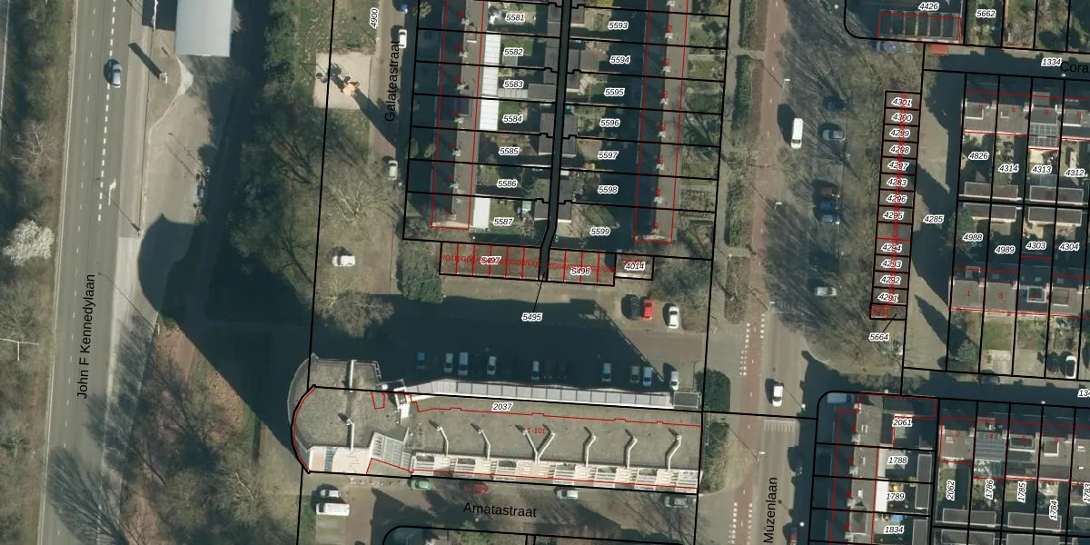
Perceel: WSL01-L-5495
KadastraleKaart.com kan meer dan je denktOntdek meer ›
Filter op bestemming 50+ datasets Eigendomsdata in één klik Percelen CRM
Geen adressen bij dit perceel
125 m2 - 171 m
Eigenaar opvragen
WSL01-L-5495 (Woensel)
- Geen postcode aanwezig
FP0eHpo OoAlHgY33d2NV uE mahRFhUpgrade naar KadastraleKaart Pro
Bekijk op Street View
Download DWG/DXF/Excel
PkYfbxYNBEL8f7M n Upgrade naar KadastraleKaart Pro
7TZGd6Kuv0HmTzgUpgrade naar KadastraleKaart Pro
db W2VCR m2bc0 PGNUpgrade naar KadastraleKaart Pro
D0b8XIg7SV256IiFUpgrade naar KadastraleKaart Pro
VnCFGS qWePqQDUpgrade naar KadastraleKaart Pro
9fC sgRMzTzmNQy 9GWp1cTUpgrade naar KadastraleKaart Pro
37q8Q41AcnATi1lWUpgrade naar KadastraleKaart Pro
X4WczakZ 1Upgrade naar KadastraleKaart Pro
a jgdkYjrZEUpgrade naar KadastraleKaart Pro
2 x3sZYd IhJS8kIR5pa3 Upgrade naar KadastraleKaart Pro
29/10/2009

Percelen
Gebruik de zoekbalk of klik op een perceel om informatie over het perceel te bekijken.