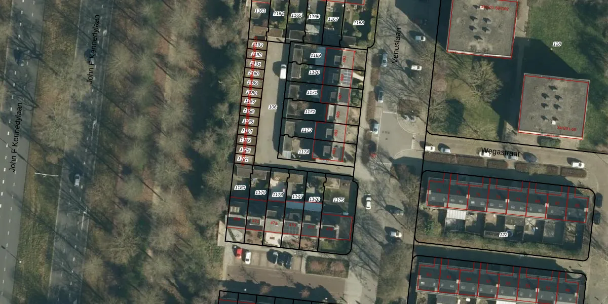
Perceel: WSL01-M-1174
196 m2 - 67 m
Eigenaar opvragen
WSL01-M-1174 (Woensel)
- 5632 HN
FVe4ZE3qVDRZteA sUpgrade naar KadastraleKaart Pro
Verkoopprijs opvragen
Bekijk op Street View
Download DWG/DXF/Excel
w Ei9t B4OXC 2TU5ce9Upgrade naar KadastraleKaart Pro
A2vz6 32VbhhDb ZKUpgrade naar KadastraleKaart Pro
z7Xp3LdxNr1gRwlkVNUpgrade naar KadastraleKaart Pro
Tru6QprMeUpgrade naar KadastraleKaart Pro
XmjKVBna4R1Ah 9Wvj6Mf4FUpgrade naar KadastraleKaart Pro
1Ej1I19uaWNfLif35Upgrade naar KadastraleKaart Pro
1qMaBPNX5e7sP 8G IjUpgrade naar KadastraleKaart Pro
Y sm10jRIY SBXO 6EjkUpgrade naar KadastraleKaart Pro
Bsl0rQJ0Upgrade naar KadastraleKaart Pro
vqtJzayZgU7I7P lhUpgrade naar KadastraleKaart Pro
13/04/2006

Percelen
Gebruik de zoekbalk of klik op een perceel om informatie over het perceel te bekijken.