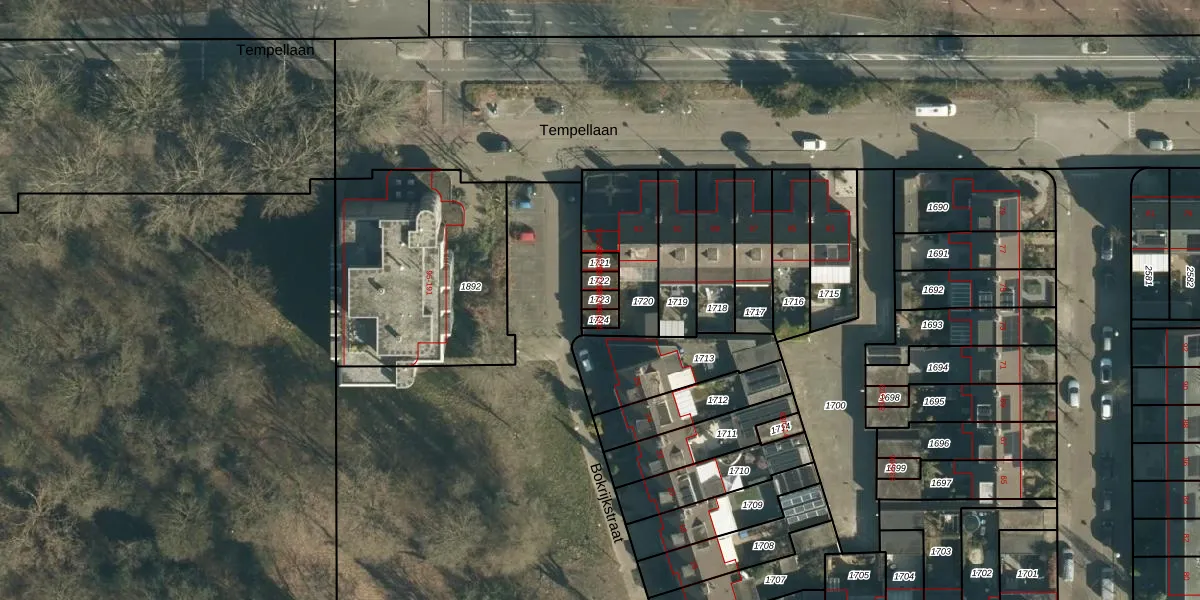
Perceel: WSL01-M-1723
KadastraleKaart.com kan meer dan je denktOntdek meer ›
Filter op bestemming 50+ datasets Eigendomsdata in één klik Percelen CRM
20 m2 - 19 m
Eigenaar opvragen
WSL01-M-1723 (Woensel)
- Geen postcode aanwezig
6l rFtydVnj7qxVm6itkRicq3GJ0sCyUpgrade naar KadastraleKaart Pro
Bekijk op Street View
Download DWG/DXF/Excel
jv U8PXqd9s5tyQdSkUpgrade naar KadastraleKaart Pro
NX4m cRNNUX9NJJB71tGPUpgrade naar KadastraleKaart Pro
Ey osEcmTUpgrade naar KadastraleKaart Pro
mkUUya0vQnmiE5Upgrade naar KadastraleKaart Pro
tKN5oV2EE Uwt kwwPXLSCEUpgrade naar KadastraleKaart Pro
0oz2jUIoisB g Z8HRgUpgrade naar KadastraleKaart Pro
CnGzoWLEMI No9PBUpgrade naar KadastraleKaart Pro
gz bQXjtvhA97TUbGUpgrade naar KadastraleKaart Pro
hpYJIGrlfxUpgrade naar KadastraleKaart Pro
6AcXz1RfDoNrvUpgrade naar KadastraleKaart Pro
20/04/2006

Percelen
Gebruik de zoekbalk of klik op een perceel om informatie over het perceel te bekijken.